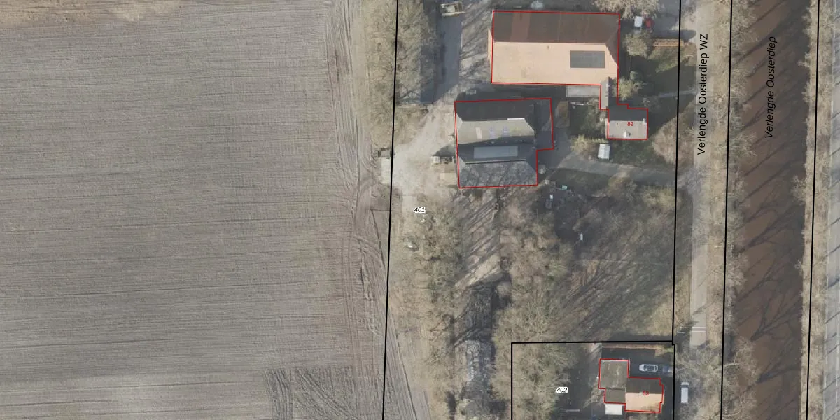
Perceel: EMN00-AD-401
KadastraleKaart.com kan meer dan je denktOntdek meer ›
Filter op bestemming 50+ datasets Eigendomsdata in één klik Percelen CRM
9.815 m2 - 524 m
Eigenaar opvragen
EMN00-AD-401 (Emmen)
- 7884 RL
PZDz dQrQr DF K vLUpgrade naar KadastraleKaart Pro
Bekijk op Street View
Download DWG/DXF/Excel
KftXeDpmEBYrKb9 oSfhUpgrade naar KadastraleKaart Pro
30u185 5 Upgrade naar KadastraleKaart Pro
eNL7eetmP mUpgrade naar KadastraleKaart Pro
KQQCeFTKCHHvCqrM2HhbD68Upgrade naar KadastraleKaart Pro
Dw1BvjytgUpgrade naar KadastraleKaart Pro
d I lN9fkiKB2zs42 8WUD6Upgrade naar KadastraleKaart Pro
XZTW s4hLfqtAxZbNC f56Upgrade naar KadastraleKaart Pro
TQ1nSsw GHnXnmdgUpgrade naar KadastraleKaart Pro
2ZbX75Yy tm0S3cLUpgrade naar KadastraleKaart Pro
X 4fWB 42 iUpgrade naar KadastraleKaart Pro
22/01/2016

Percelen
Gebruik de zoekbalk of klik op een perceel om informatie over het perceel te bekijken.