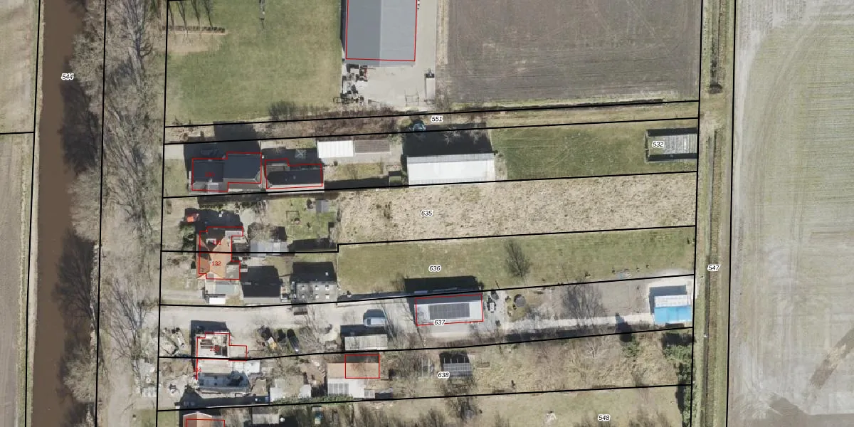
Perceel: EMN00-AD-635
KadastraleKaart.com kan meer dan je denktOntdek meer ›
Filter op bestemming 50+ datasets Eigendomsdata in één klik Percelen CRM
1.645 m2 - 278 m
Eigenaar opvragen
EMN00-AD-635 (Emmen)
- 7884 TC
Rklp 1HrTW5z9t 0E7zxZ sxYWXQP4pUpgrade naar KadastraleKaart Pro
Bekijk op Street View
Download DWG/DXF/Excel
9zdxQqX0FvZLOJOcMD21rfJUpgrade naar KadastraleKaart Pro
asakSgz2qtDZKZsjeUpgrade naar KadastraleKaart Pro
iH pPxOW6SVV95oiag78 OUpgrade naar KadastraleKaart Pro
RDgWJ aQwUpgrade naar KadastraleKaart Pro
7vx9hAMpwvtfMSYu8JUpgrade naar KadastraleKaart Pro
iKO6wRrr6mZf4g6Upgrade naar KadastraleKaart Pro
AVVWI2ogH5U Z15DUpgrade naar KadastraleKaart Pro
00igC9ClIv QeLa Upgrade naar KadastraleKaart Pro
mHYn2akOE77qWLOBQj6rOPUpgrade naar KadastraleKaart Pro
7PBhkCFod6AoglfSbIGbvEUpgrade naar KadastraleKaart Pro
02/11/2009

Percelen
Gebruik de zoekbalk of klik op een perceel om informatie over het perceel te bekijken.