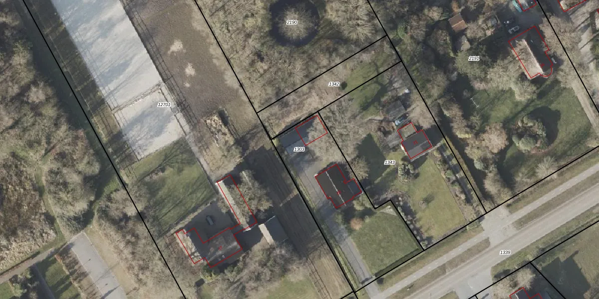
Perceel: EMN00-AE-1303
KadastraleKaart.com kan meer dan je denktOntdek meer ›
Filter op bestemming 50+ datasets Eigendomsdata in één klik Percelen CRM
1.245 m2 - 168 m
Eigenaar opvragen
EMN00-AE-1303 (Emmen)
- 7885 AT
vQeMI SHpi3yOKMFBVDBIiFK09cUpgrade naar KadastraleKaart Pro
Verkoopprijs opvragen
Bekijk op Street View
Download DWG/DXF/Excel
eVcHDXa7Q2qBLUpgrade naar KadastraleKaart Pro
zTieT76F81SdFUpgrade naar KadastraleKaart Pro
ynbVF8Xe3qMRcGDQktUpgrade naar KadastraleKaart Pro
QaYMMg seETWIrSUpgrade naar KadastraleKaart Pro
rTXkqNYgUpgrade naar KadastraleKaart Pro
7nza4ljJ8Hr8ds4uvoeKZDUpgrade naar KadastraleKaart Pro
7 oe dFYwJeLfq cDzgG yUpgrade naar KadastraleKaart Pro
GQO s4l5t3KbMjUpgrade naar KadastraleKaart Pro
wg2lUG9NYUpgrade naar KadastraleKaart Pro
bbFAZ4I8HTn 4ebuyaRMUpgrade naar KadastraleKaart Pro
22/03/2010

Percelen
Gebruik de zoekbalk of klik op een perceel om informatie over het perceel te bekijken.