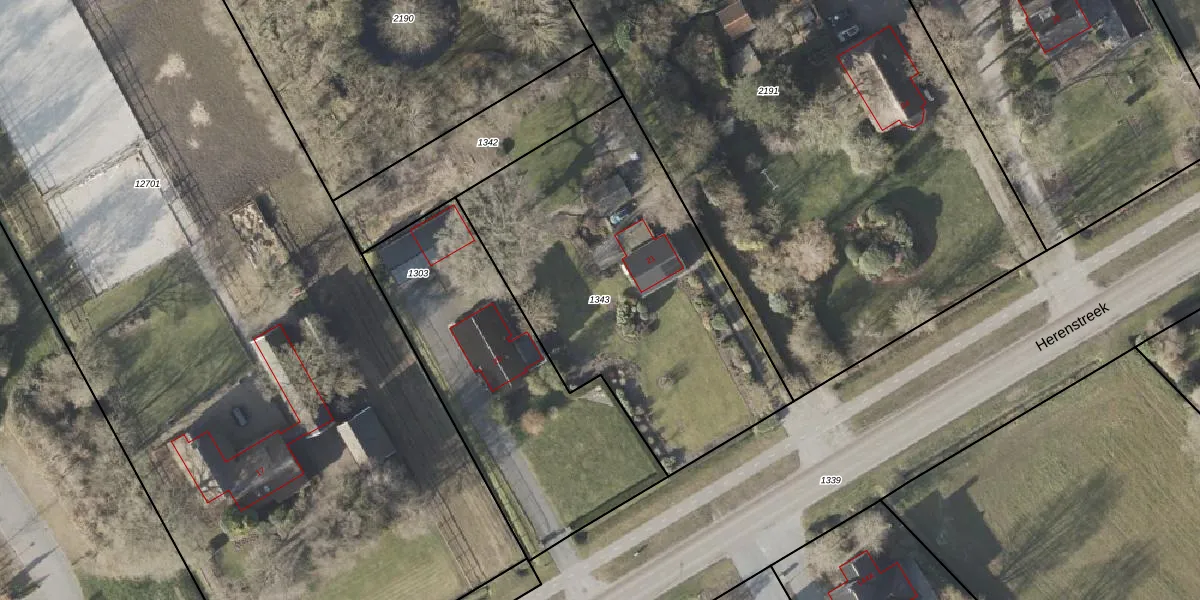
Perceel: EMN00-AE-1343
KadastraleKaart.com kan meer dan je denktOntdek meer ›
Filter op bestemming 50+ datasets Eigendomsdata in één klik Percelen CRM
1.735 m2 - 180 m
Eigenaar opvragen
EMN00-AE-1343 (Emmen)
- 7885 AT
Cupp aLaqV TmNo7Upgrade naar KadastraleKaart Pro
Bekijk op Street View
Download DWG/DXF/Excel
ik nPwKQPta HH6uBn Upgrade naar KadastraleKaart Pro
K7jFtKm 3 WUpgrade naar KadastraleKaart Pro
H ATVJOvN9JUpgrade naar KadastraleKaart Pro
kfFc4A1au0H6e3V5RCcsUpgrade naar KadastraleKaart Pro
OkoklGw3 GDtUpgrade naar KadastraleKaart Pro
UUANeZoTtldOj3Upgrade naar KadastraleKaart Pro
VuRh NY2IjUpgrade naar KadastraleKaart Pro
nZky86DEYA2GUpgrade naar KadastraleKaart Pro
W1WM50 QFjaBUpgrade naar KadastraleKaart Pro
ZrAXl mIG4Udy U767VqGtXUpgrade naar KadastraleKaart Pro
22/03/2010

Percelen
Gebruik de zoekbalk of klik op een perceel om informatie over het perceel te bekijken.