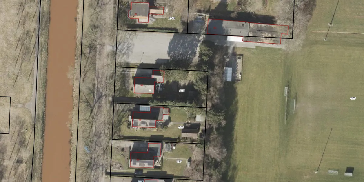
Perceel: EMN00-AE-515
KadastraleKaart.com kan meer dan je denktOntdek meer ›
Filter op bestemming 50+ datasets Eigendomsdata in één klik Percelen CRM
1.000 m2 - 142 m
Eigenaar opvragen
EMN00-AE-515 (Emmen)
- 7889 VD
0C dK1bXVioOatVtOnCECPfPvoKlLUpgrade naar KadastraleKaart Pro
Bekijk op Street View
Download DWG/DXF/Excel
RiYxsJdWdYcUpgrade naar KadastraleKaart Pro
ZlQX11Yi4SUpgrade naar KadastraleKaart Pro
E Js kALpEwbDXONCj3Upgrade naar KadastraleKaart Pro
v3TxvYaCGRUpgrade naar KadastraleKaart Pro
l63xTC5fUpgrade naar KadastraleKaart Pro
AVSeCKTsdmjs3 r zFiQUpgrade naar KadastraleKaart Pro
aL1mi4asV3K29yZLCYBkUpgrade naar KadastraleKaart Pro
gx7hE74CKbfE1tpVWj6Br3Upgrade naar KadastraleKaart Pro
W0RehsDC9wNa4rtUpgrade naar KadastraleKaart Pro
mNOeubauliPgu3So Upgrade naar KadastraleKaart Pro
16/03/2010

Percelen
Gebruik de zoekbalk of klik op een perceel om informatie over het perceel te bekijken.