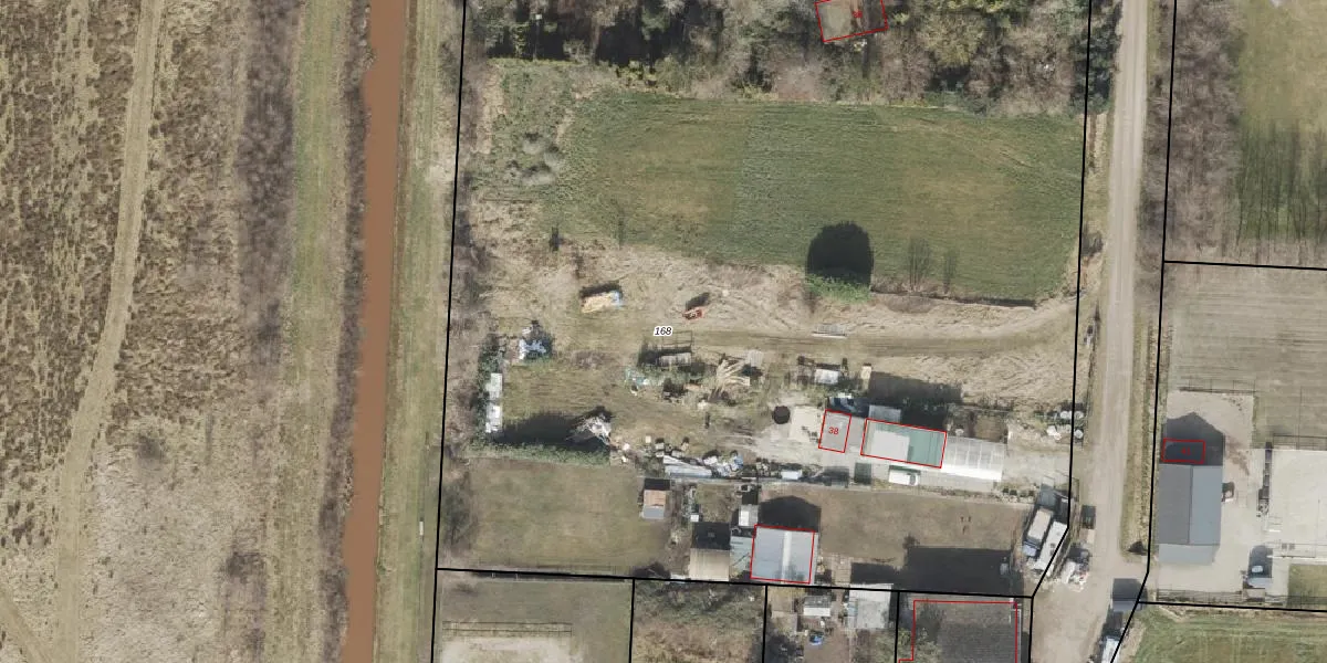
Perceel: EMN00-AF-168
KadastraleKaart.com kan meer dan je denktOntdek meer ›
Filter op bestemming 50+ datasets Eigendomsdata in één klik Percelen CRM
8.660 m2 - 369 m
Eigenaar opvragen
EMN00-AF-168 (Emmen)
- 7894 AT
Hgcf39mRdR0GrLfum4VHUpgrade naar KadastraleKaart Pro
Bekijk op Street View
Download DWG/DXF/Excel
nx12yJ JQJUpgrade naar KadastraleKaart Pro
4GFHjmFhBJy1 T0bEmM toUpgrade naar KadastraleKaart Pro
M9PB FhTN5WK bz1Upgrade naar KadastraleKaart Pro
oGtjrRIFtYn4k078Upgrade naar KadastraleKaart Pro
6hl wsmW97 qvEpXUpgrade naar KadastraleKaart Pro
6crNMhzGEUpgrade naar KadastraleKaart Pro
bYqiJVCcqK6FeUpgrade naar KadastraleKaart Pro
ElT5VjibXMCyKU H GzxE7vUpgrade naar KadastraleKaart Pro
W8TOkPqfDRvNCaA RUpgrade naar KadastraleKaart Pro
T 1 EHdV ZRx 4vrvUpgrade naar KadastraleKaart Pro
16/03/2010

Percelen
Gebruik de zoekbalk of klik op een perceel om informatie over het perceel te bekijken.