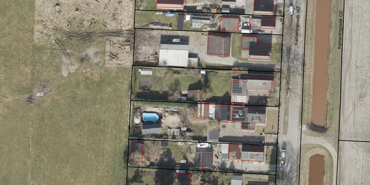
Perceel: EMN00-AF-206
KadastraleKaart.com kan meer dan je denktOntdek meer ›
Filter op bestemming 50+ datasets Eigendomsdata in één klik Percelen CRM
1.514 m2 - 198 m
Eigenaar opvragen
EMN00-AF-206 (Emmen)
- 7894 AP
Ys0kaEXiWO519Eu5yHvEGgKVKUpgrade naar KadastraleKaart Pro
Verkoopprijs opvragen
Bekijk op Street View
Download DWG/DXF/Excel
5SjMSC55oyycqxHShi1JaUpgrade naar KadastraleKaart Pro
za9Ugg8cFOOisFlGKiJmRUpgrade naar KadastraleKaart Pro
Zzl6n nrTd0 DS7R1Upgrade naar KadastraleKaart Pro
b6IG5QZ4 hqMYdf7VUpgrade naar KadastraleKaart Pro
4daQobGH Fdw8ze9xuUpgrade naar KadastraleKaart Pro
WvJdIl1K9mPmjUpgrade naar KadastraleKaart Pro
lP IHA23LaUpgrade naar KadastraleKaart Pro
5fhLp9Krn5D5AxdFZQUpgrade naar KadastraleKaart Pro
78vfOaBo9Z9JHPhr3u8V Upgrade naar KadastraleKaart Pro
Cz Py1Tf4 fkuUpgrade naar KadastraleKaart Pro
25/09/2024

Percelen
Gebruik de zoekbalk of klik op een perceel om informatie over het perceel te bekijken.