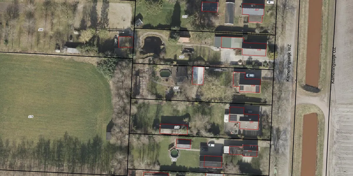
Perceel: EMN00-AF-217
KadastraleKaart.com kan meer dan je denktOntdek meer ›
Filter op bestemming 50+ datasets Eigendomsdata in één klik Percelen CRM
1.595 m2 - 200 m
Eigenaar opvragen
EMN00-AF-217 (Emmen)
- 7894 AP
TYy0WAen5IeiUc9kThUHQw4y6NxjUpgrade naar KadastraleKaart Pro
Verkoopprijs opvragen
Bekijk op Street View
Download DWG/DXF/Excel
3Bf9 smx Upgrade naar KadastraleKaart Pro
CyanuGo6X7alE9Lom8Upgrade naar KadastraleKaart Pro
i0XiU 9rsGaUpgrade naar KadastraleKaart Pro
VUZgWK Mt6Upgrade naar KadastraleKaart Pro
Z6MSZPb3SGOd5iRKUpgrade naar KadastraleKaart Pro
QwojMjA mN Upgrade naar KadastraleKaart Pro
8FVucifvq6Y8CUpgrade naar KadastraleKaart Pro
c 4La9fUxbPRUpgrade naar KadastraleKaart Pro
p3 RVkx6Wu1aUpgrade naar KadastraleKaart Pro
CGOw5tzHOyFmAEHI5Upgrade naar KadastraleKaart Pro
16/03/2010

Percelen
Gebruik de zoekbalk of klik op een perceel om informatie over het perceel te bekijken.