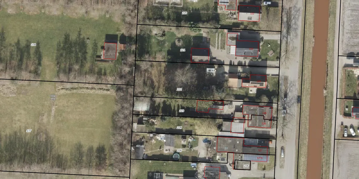
Perceel: EMN00-AF-222
KadastraleKaart.com kan meer dan je denktOntdek meer ›
Filter op bestemming 50+ datasets Eigendomsdata in één klik Percelen CRM
1.595 m2 - 201 m
Eigenaar opvragen
EMN00-AF-222 (Emmen)
- 7894 AR
ngUJUuB13 XA8H0PoweSWFlg7PUpgrade naar KadastraleKaart Pro
Bekijk op Street View
Download DWG/DXF/Excel
Axg1413DQPH Upgrade naar KadastraleKaart Pro
cNaM6M0Cg16rEUpgrade naar KadastraleKaart Pro
wzjcqv iRB85JdUpgrade naar KadastraleKaart Pro
Y qROB9t6Iq NUpgrade naar KadastraleKaart Pro
6dZ W9 RUpgrade naar KadastraleKaart Pro
cJwVcN62MZM6jlr WuUpgrade naar KadastraleKaart Pro
H8 X wiiiiiXAUUpgrade naar KadastraleKaart Pro
EIKxGY7iZ SWy eg1NJkXdUpgrade naar KadastraleKaart Pro
UpzkvmN6BbNc0MEJa tUpgrade naar KadastraleKaart Pro
GHlct1qsShEUpgrade naar KadastraleKaart Pro
16/03/2010

Percelen
Gebruik de zoekbalk of klik op een perceel om informatie over het perceel te bekijken.