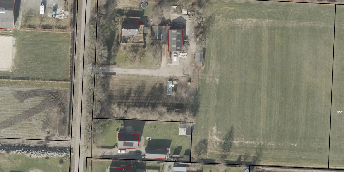
Perceel: EMN00-AF-772
KadastraleKaart.com kan meer dan je denktOntdek meer ›
Filter op bestemming 50+ datasets Eigendomsdata in één klik Percelen CRM
11.945 m2 - 469 m
Eigenaar opvragen
EMN00-AF-772 (Emmen)
- 7891 PM
uM9NBNDCqmYLqhbpSJulUpgrade naar KadastraleKaart Pro
Verkoopprijs opvragen
Bekijk op Street View
Download DWG/DXF/Excel
KUoqk4fS88FhWlGMUpgrade naar KadastraleKaart Pro
h9KpVtEmTtQB UscUpgrade naar KadastraleKaart Pro
RCjOIQzFc 9Upgrade naar KadastraleKaart Pro
76grqsSEd64Uyy al0LV7EPUpgrade naar KadastraleKaart Pro
BD2kpZ9psT8WvUpgrade naar KadastraleKaart Pro
MUC0DhvCLmCP1I Upgrade naar KadastraleKaart Pro
QOVaEIm7CJ6VUpgrade naar KadastraleKaart Pro
Cv9 s05TJV uJ7lZUpgrade naar KadastraleKaart Pro
6yW3 LmpLlb1M Upgrade naar KadastraleKaart Pro
LI57dnAjX GRviPAd M3Upgrade naar KadastraleKaart Pro
23/03/2010

Percelen
Gebruik de zoekbalk of klik op een perceel om informatie over het perceel te bekijken.