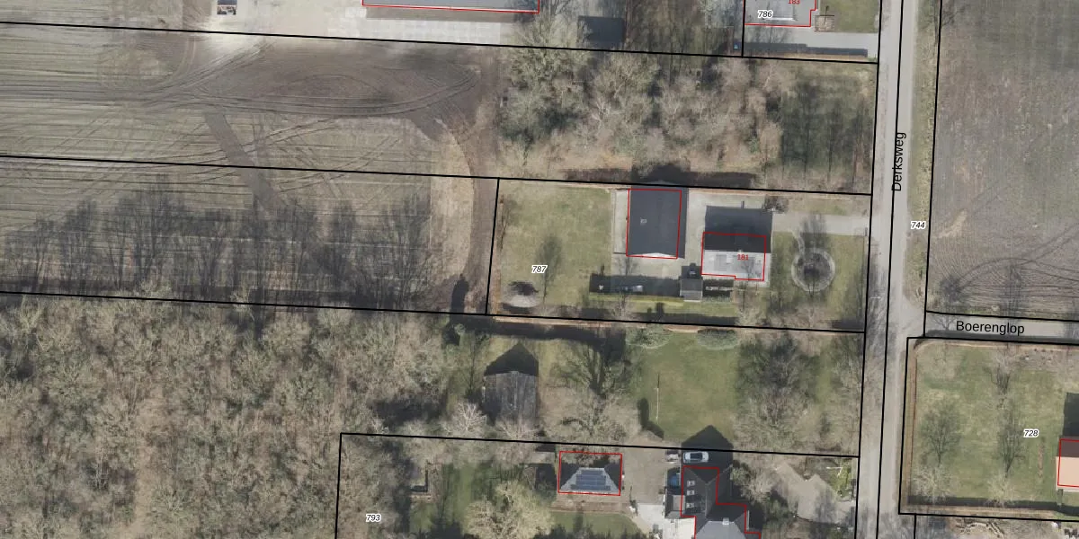
Perceel: EMN00-AF-787
KadastraleKaart.com kan meer dan je denktOntdek meer ›
Filter op bestemming 50+ datasets Eigendomsdata in één klik Percelen CRM
1.790 m2 - 191 m
Eigenaar opvragen
EMN00-AF-787 (Emmen)
- 7891 PN
30Ngtc80CGlNxNVqEUpgrade naar KadastraleKaart Pro
Bekijk op Street View
Download DWG/DXF/Excel
90IwavHPUpgrade naar KadastraleKaart Pro
Wpzy0l3XOD5aKUpgrade naar KadastraleKaart Pro
8gF iLTUpgrade naar KadastraleKaart Pro
VBd4JXt1Ftm A 2Snd1DUpgrade naar KadastraleKaart Pro
5TyPFuOVgosG7LDuz45pvUpgrade naar KadastraleKaart Pro
xjU5NngLUpgrade naar KadastraleKaart Pro
fHkuxE0lAWyJqYmv63ZymUpgrade naar KadastraleKaart Pro
kQxYXRD VGxeQpPBUpgrade naar KadastraleKaart Pro
BuqM6vQOG7OLL20AoD mNUpgrade naar KadastraleKaart Pro
7UoLnGuJUpgrade naar KadastraleKaart Pro
16/03/2010

Percelen
Gebruik de zoekbalk of klik op een perceel om informatie over het perceel te bekijken.