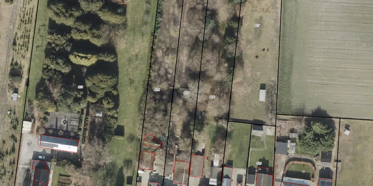
Perceel: EMN00-AF-825
KadastraleKaart.com kan meer dan je denktOntdek meer ›
Filter op bestemming 50+ datasets Eigendomsdata in één klik Percelen CRM
2.145 m2 - 352 m
Eigenaar opvragen
EMN00-AF-825 (Emmen)
- 7891 NX
Rx2gDNanSOiBsnwUP Wpt0 GyzUpgrade naar KadastraleKaart Pro
Verkoopprijs opvragen
Bekijk op Street View
Download DWG/DXF/Excel
Uj7hxsxaOGhQl Upgrade naar KadastraleKaart Pro
hHwTzJCM SK d8NL68YTUpgrade naar KadastraleKaart Pro
C7AzMkkCUDV A OBp6MlUpgrade naar KadastraleKaart Pro
A2kgeAAvB1Upgrade naar KadastraleKaart Pro
U 8ElxAaCoC 2NX8xIUBUpgrade naar KadastraleKaart Pro
DxfkA 6 H3G9rIUpgrade naar KadastraleKaart Pro
OiCyiY4F9TCpl j2etuRUpgrade naar KadastraleKaart Pro
Hbpn C8fKKrRANyBXNULY2dUpgrade naar KadastraleKaart Pro
AJw5Vrc 03R4tlnH2FUpgrade naar KadastraleKaart Pro
cVZEtms2PJUpgrade naar KadastraleKaart Pro
07/06/2010

Percelen
Gebruik de zoekbalk of klik op een perceel om informatie over het perceel te bekijken.