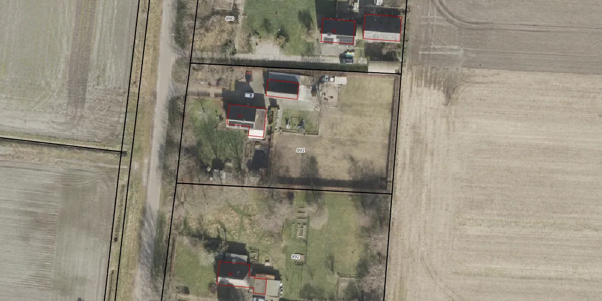
Perceel: EMN00-AF-891
KadastraleKaart.com kan meer dan je denktOntdek meer ›
Filter op bestemming 50+ datasets Eigendomsdata in één klik Percelen CRM
2.840 m2 - 222 m
Eigenaar opvragen
EMN00-AF-891 (Emmen)
- 7887 TG
69xFRy 2CFMl SUOFAF0FB10mtGKyUpgrade naar KadastraleKaart Pro
Verkoopprijs opvragen
Bekijk op Street View
Download DWG/DXF/Excel
bQYx 8wkqkhZH YImTGFTzDUpgrade naar KadastraleKaart Pro
m 5gy7PN3TIkCn2MPghnSmUpgrade naar KadastraleKaart Pro
yCXlSrcTP8kSbbaYjUpgrade naar KadastraleKaart Pro
Gond 1bcdDEKJlSi5Yh IUpgrade naar KadastraleKaart Pro
7F mIlvpPnnc Upgrade naar KadastraleKaart Pro
hgEBzEHWUpgrade naar KadastraleKaart Pro
emEysQXpcIKJde2OUpgrade naar KadastraleKaart Pro
B4vSPkK6J70zBcJUpgrade naar KadastraleKaart Pro
n1bzYGX6BBXWPdSxmgCUpgrade naar KadastraleKaart Pro
vf aSN d4ob3fKD2FpUpgrade naar KadastraleKaart Pro
22/03/2010

Percelen
Gebruik de zoekbalk of klik op een perceel om informatie over het perceel te bekijken.