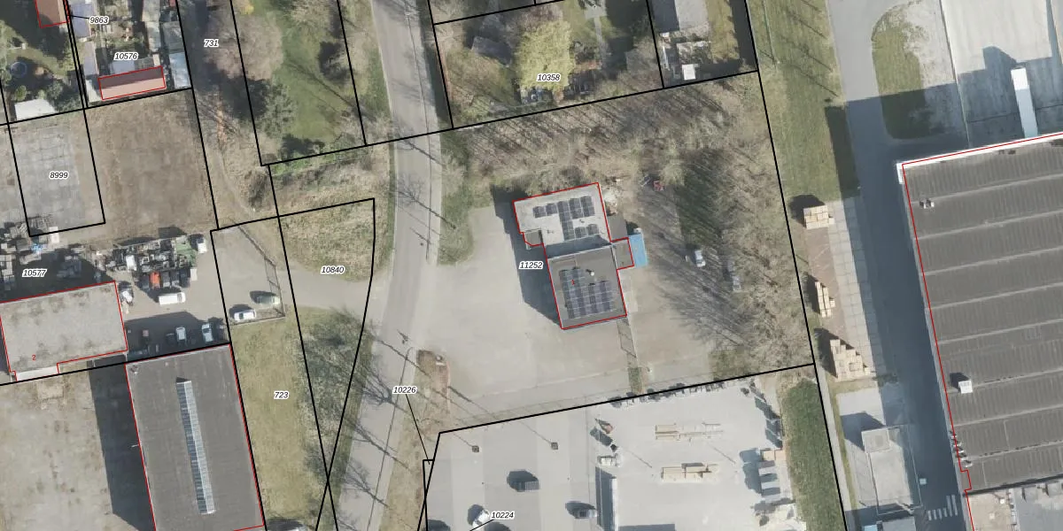
Perceel: EMN00-E-11252
KadastraleKaart.com kan meer dan je denktOntdek meer ›
Filter op bestemming 50+ datasets Eigendomsdata in één klik Percelen CRM
6.451 m2 - 876 m
Eigenaar opvragen
EMN00-E-11252 (Emmen)
- 7881 JD
QwFsX loMGCpT3uQ87j10Yq wvpUpgrade naar KadastraleKaart Pro
Bekijk op Street View
Download DWG/DXF/Excel
HV 4hTt 4f KM8lWiGskpUpgrade naar KadastraleKaart Pro
G3guV2A1YUpgrade naar KadastraleKaart Pro
0o40I5FHUpgrade naar KadastraleKaart Pro
tIHJRPUn RzjNhaR6ZmmnUpgrade naar KadastraleKaart Pro
3E PBTtlKsHBvS28Upgrade naar KadastraleKaart Pro
Ma7JhGPPoIcUpgrade naar KadastraleKaart Pro
6wMHw3rdbw6N Upgrade naar KadastraleKaart Pro
2N GZV4L DESSbp15ylZTWUpgrade naar KadastraleKaart Pro
r 6j7lxlXWt3NKo TzaUpgrade naar KadastraleKaart Pro
EKcupF8gLX V5hy rUpgrade naar KadastraleKaart Pro
03/06/2020

Percelen
Gebruik de zoekbalk of klik op een perceel om informatie over het perceel te bekijken.