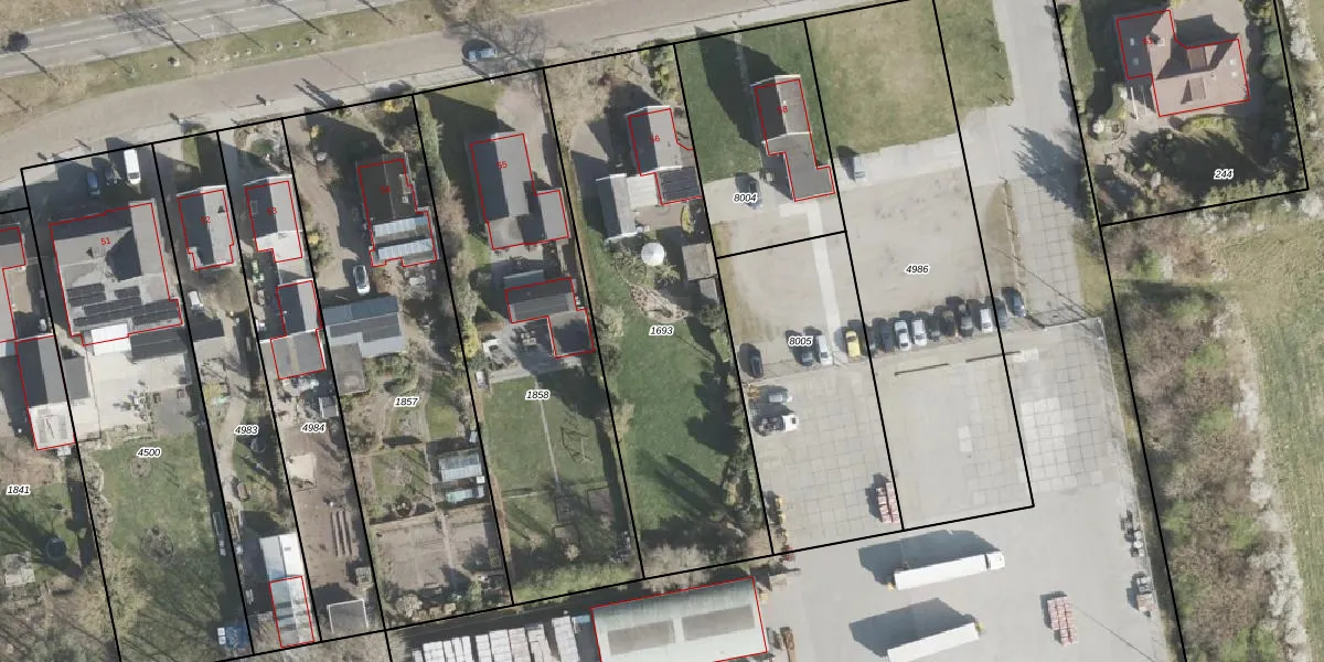
Perceel: EMN00-E-1693
1.576 m2 - 197 m
Eigenaar opvragen
EMN00-E-1693 (Emmen)
- 7881 HN
2l7 FyT ApLhlyHDqbkUpgrade naar KadastraleKaart Pro
Bekijk op Street View
Download DWG/DXF/Excel
gbszCQ61U4KjUpgrade naar KadastraleKaart Pro
2iasDt2x1WUpgrade naar KadastraleKaart Pro
GLob1Nk4dRAtGFpqGUpgrade naar KadastraleKaart Pro
pvxA0Sn91CM5ssUpgrade naar KadastraleKaart Pro
WHooDCu oNTbCG3AQ6Upgrade naar KadastraleKaart Pro
X567B9DsIR Blvgekj2PUpgrade naar KadastraleKaart Pro
kfh5TbGrC6HM Upgrade naar KadastraleKaart Pro
Mzu1PZONycBVapB1ab1tUpgrade naar KadastraleKaart Pro
25aOb2KjjLspKOiUpgrade naar KadastraleKaart Pro
YXi6Hfc L Upgrade naar KadastraleKaart Pro
15/04/2008

Percelen
Gebruik de zoekbalk of klik op een perceel om informatie over het perceel te bekijken.