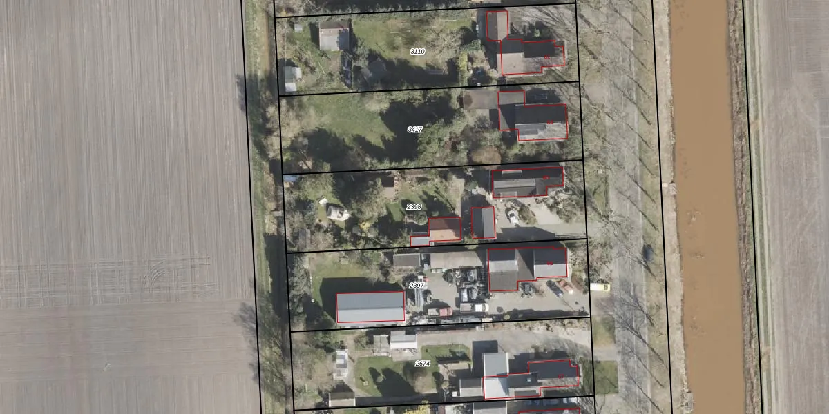
Perceel: EMN00-E-2398
1.380 m2 - 183 m
Eigenaar opvragen
EMN00-E-2398 (Emmen)
- 7881 KC
8sLytPeb8n0LTV frx3AwCwPUpgrade naar KadastraleKaart Pro
Verkoopprijs opvragen
Bekijk op Street View
Download DWG/DXF/Excel
2oID jBK2 0tUpgrade naar KadastraleKaart Pro
tqPCT6yZnRbcnTh2Gg5Upgrade naar KadastraleKaart Pro
ul7Ap Hct4KXbYewyPUpgrade naar KadastraleKaart Pro
ikgq7p5jAURS j 7E 3 FgUpgrade naar KadastraleKaart Pro
8p AK9 kuNA3gBw6c4nAWFUpgrade naar KadastraleKaart Pro
XRC90 Knbk km2FlGsPCn5Upgrade naar KadastraleKaart Pro
Lteu3 Q ZXt4aUpgrade naar KadastraleKaart Pro
9VMke P2B EqptUpgrade naar KadastraleKaart Pro
VbTJJ0F9zWWT0iKqO5Upgrade naar KadastraleKaart Pro
d1qwyb9G1hjUpgrade naar KadastraleKaart Pro
23/04/2008

Percelen
Gebruik de zoekbalk of klik op een perceel om informatie over het perceel te bekijken.