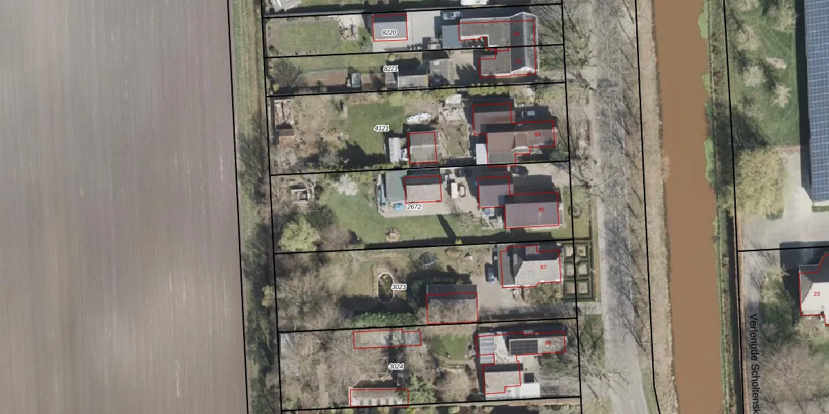
Perceel: EMN00-E-2672
1.380 m2 - 183 m
Eigenaar opvragen
EMN00-E-2672 (Emmen)
- 7881 KD
tllniL7q33dE9EZQscmUpgrade naar KadastraleKaart Pro
Bekijk op Street View
Download DWG/DXF/Excel
KS 0 wAiR1sno6RmWLUpgrade naar KadastraleKaart Pro
QdHjpsLgXiKx4dF Upgrade naar KadastraleKaart Pro
i4Acr88OOFNFJFTD1XUpgrade naar KadastraleKaart Pro
xC q7etuOEMwdrZRUpgrade naar KadastraleKaart Pro
6w rwxEC2 is8y4AYMTFMUpgrade naar KadastraleKaart Pro
aH0ijFS5GzW4E FAUpgrade naar KadastraleKaart Pro
CSRmbU17 18 w0h7U09dCUpgrade naar KadastraleKaart Pro
3IXEVenw8Upgrade naar KadastraleKaart Pro
TNIMMJPvrENJoOxFFYEFUpgrade naar KadastraleKaart Pro
rwHmVEy4HuoJUpgrade naar KadastraleKaart Pro
23/04/2008

Percelen
Gebruik de zoekbalk of klik op een perceel om informatie over het perceel te bekijken.