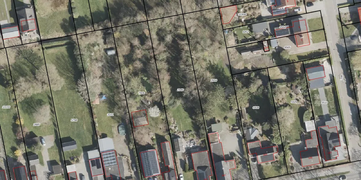
Perceel: EMN00-E-2946
1.960 m2 - 237 m
Eigenaar opvragen
EMN00-E-2946 (Emmen)
- 7881 KP
Df6LazOY3QAlf o zOJ2awUpgrade naar KadastraleKaart Pro
Bekijk op Street View
Download DWG/DXF/Excel
SJMf50Rz15Jtc79JUpgrade naar KadastraleKaart Pro
szgTOFeMcRiIcAYdUpgrade naar KadastraleKaart Pro
WjuBM1KaxzUwUpgrade naar KadastraleKaart Pro
TCoN Jf2otSwbnL96d4SnqUpgrade naar KadastraleKaart Pro
vkgNKO7eAQ2kstMfAXmUpgrade naar KadastraleKaart Pro
hJwG5IahcxdeFWUpgrade naar KadastraleKaart Pro
Kg8R1AVpe9eOOikfzUpgrade naar KadastraleKaart Pro
oSS001p1jCUpgrade naar KadastraleKaart Pro
hVBQJ2VK2wLgeUpgrade naar KadastraleKaart Pro
n0a3E fw4ewMgWp6Lnv7 TUpgrade naar KadastraleKaart Pro
23/04/2008

Percelen
Gebruik de zoekbalk of klik op een perceel om informatie over het perceel te bekijken.