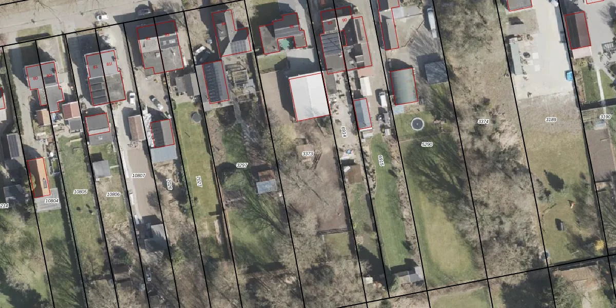
Perceel: EMN00-E-3373
2.080 m2 - 248 m
Eigenaar opvragen
EMN00-E-3373 (Emmen)
- 7881 ND
86o xg Bj9g Du5 UjUpgrade naar KadastraleKaart Pro
Verkoopprijs opvragen
Bekijk op Street View
Download DWG/DXF/Excel
SaX0 bA3q4VnHBx1aUpgrade naar KadastraleKaart Pro
6v bywsMf oYNCEuGUpgrade naar KadastraleKaart Pro
Hhmf73etXldJ4uVLhUpgrade naar KadastraleKaart Pro
aKju PtFOUpgrade naar KadastraleKaart Pro
GcCnM0wBK2OiWc5Upgrade naar KadastraleKaart Pro
GvLRhhVa5tChUpgrade naar KadastraleKaart Pro
aSkA9gXqn9geKUpgrade naar KadastraleKaart Pro
mTPm1oistUpgrade naar KadastraleKaart Pro
8AyAJw5kLHGnmUpgrade naar KadastraleKaart Pro
ujlES VeUpgrade naar KadastraleKaart Pro
21/05/2008

Percelen
Gebruik de zoekbalk of klik op een perceel om informatie over het perceel te bekijken.