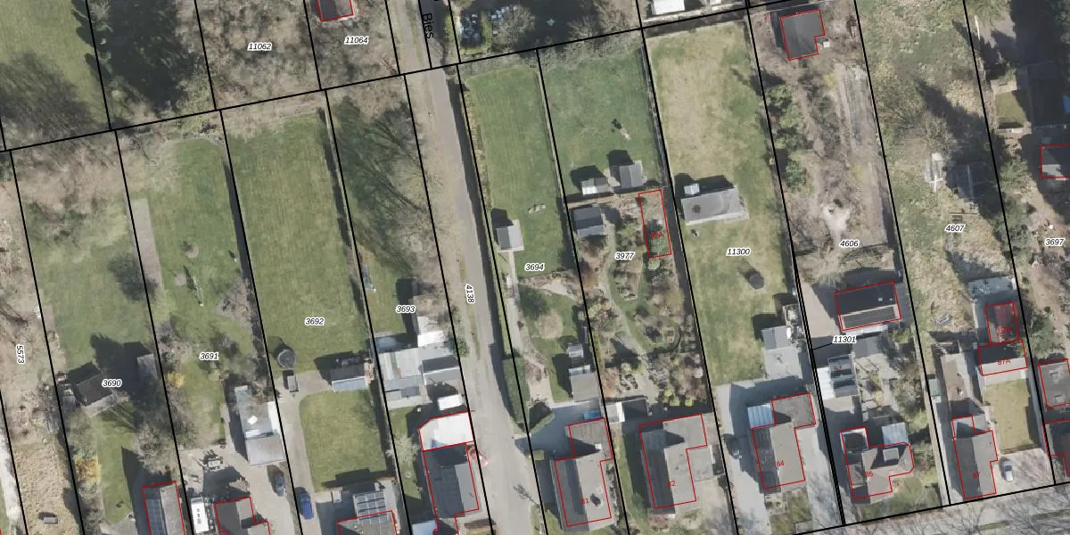
Perceel: EMN00-E-3694
1.490 m2 - 227 m
Eigenaar opvragen
EMN00-E-3694 (Emmen)
- 7881 KK
k Gct1DebxjNMBqUpgrade naar KadastraleKaart Pro
Verkoopprijs opvragen
Bekijk op Street View
Download DWG/DXF/Excel
ZDvSFbW4mYQGu Upgrade naar KadastraleKaart Pro
Vy91J2q17WWr0IEB Upgrade naar KadastraleKaart Pro
qIZ5WqY 4jegKSUh4ChjUpgrade naar KadastraleKaart Pro
u8SpPSmRVPvuAH6mbiP H8KUpgrade naar KadastraleKaart Pro
Hdsa35PkNg9Upgrade naar KadastraleKaart Pro
L9 D y57676ym6 0 w4CKdUpgrade naar KadastraleKaart Pro
T8aL3WFJRHS17c2oUpgrade naar KadastraleKaart Pro
7Fmt7OzLDY5ZlpBfG7R1Upgrade naar KadastraleKaart Pro
4P1r5QNCzL3 v5edOoCGHaJUpgrade naar KadastraleKaart Pro
EAX2sQMTUc nzo1sgVUpgrade naar KadastraleKaart Pro
03/03/2009

Percelen
Gebruik de zoekbalk of klik op een perceel om informatie over het perceel te bekijken.