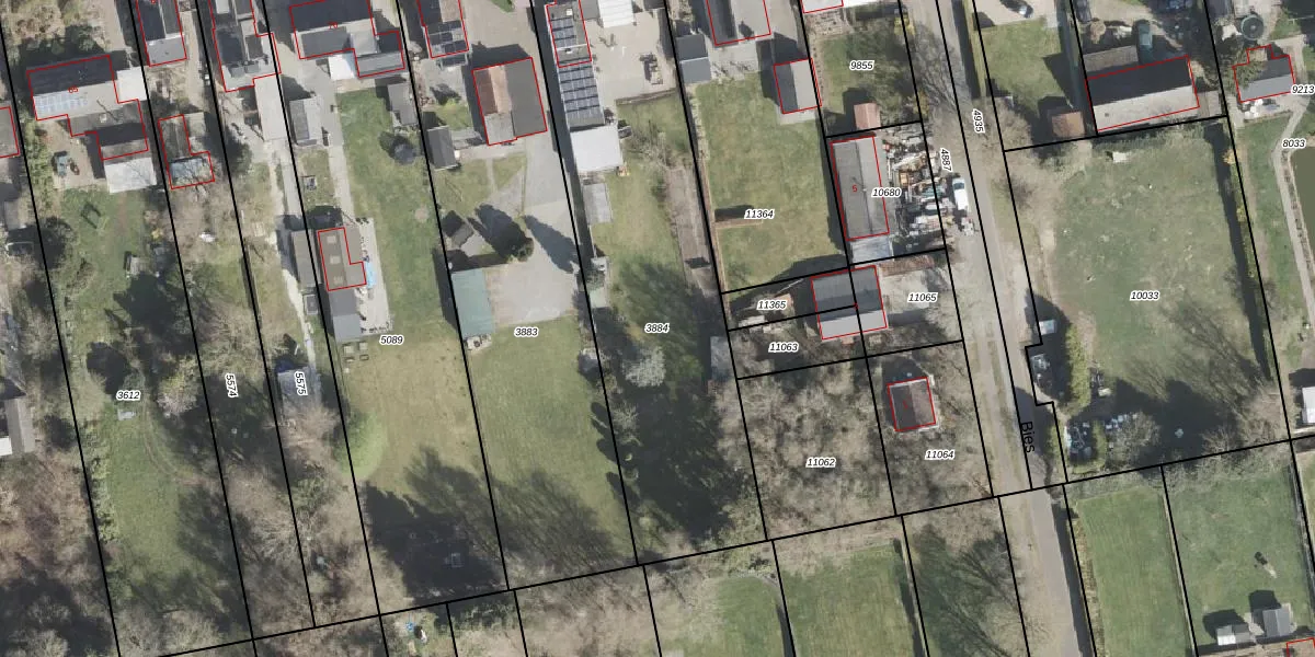
Perceel: EMN00-E-3884
2.060 m2 - 248 m
Eigenaar opvragen
EMN00-E-3884 (Emmen)
- 7881 ND
hN072Vqx7mkplKlrsUpgrade naar KadastraleKaart Pro
Verkoopprijs opvragen
Bekijk op Street View
Download DWG/DXF/Excel
jfAuAXmj 3AtBUpgrade naar KadastraleKaart Pro
CY8i6YFAUC VjdoteUpgrade naar KadastraleKaart Pro
keX3Bxxs0VtRc6xUpgrade naar KadastraleKaart Pro
qw UCVuFS NMFBXi ty4PUpgrade naar KadastraleKaart Pro
TxfmuMi2hKsUpgrade naar KadastraleKaart Pro
empKT0bsgsVSUpgrade naar KadastraleKaart Pro
fd qG MH9 gvESUpgrade naar KadastraleKaart Pro
kww7PNsG j5gECoowhI SUpgrade naar KadastraleKaart Pro
QSj OsRtgxlUpgrade naar KadastraleKaart Pro
0Pem 5 9lzx 4sF RnUpgrade naar KadastraleKaart Pro
04/02/2025

Percelen
Gebruik de zoekbalk of klik op een perceel om informatie over het perceel te bekijken.