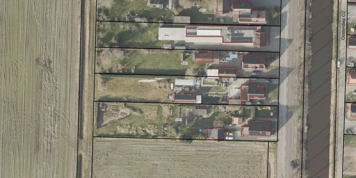
Perceel: EMN00-E-4060
1.560 m2 - 239 m
Eigenaar opvragen
EMN00-E-4060 (Emmen)
- 7881 GW
Vm1xv6ZArsZyFtwete31yPT4584zp5LUpgrade naar KadastraleKaart Pro
Verkoopprijs opvragen
Bekijk op Street View
Download DWG/DXF/Excel
jrTYSS0KUpgrade naar KadastraleKaart Pro
aDQtxeLJAVr2AdMQUpgrade naar KadastraleKaart Pro
VOtW 83Rkkbk4d21NanMlUpgrade naar KadastraleKaart Pro
Y wdGuY qYP7uRUpgrade naar KadastraleKaart Pro
JvgO JIHOwbXnUpgrade naar KadastraleKaart Pro
D5Al9 Q5tfAZMn tWXUpgrade naar KadastraleKaart Pro
ioy0eJkNa 0fj3B7kF bv9gUpgrade naar KadastraleKaart Pro
ItbO6b N6d 6BUpgrade naar KadastraleKaart Pro
exomEIZvqS7PUpgrade naar KadastraleKaart Pro
vWna00qqAaWwdw ypB5AUpgrade naar KadastraleKaart Pro
11/03/2009

Percelen
Gebruik de zoekbalk of klik op een perceel om informatie over het perceel te bekijken.