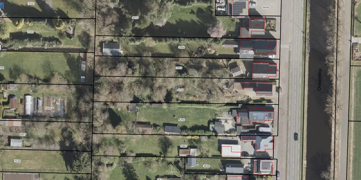
Perceel: EMN00-E-4259
1.415 m2 - 234 m
Eigenaar opvragen
EMN00-E-4259 (Emmen)
- 7881 GR
mH0x7uvyXu aX wT Jj RKbHXUpgrade naar KadastraleKaart Pro
Verkoopprijs opvragen
Bekijk op Street View
Download DWG/DXF/Excel
bIGxhLMS xOUpgrade naar KadastraleKaart Pro
lUGSAHPDdoSk KME3NUpgrade naar KadastraleKaart Pro
6xX59yNgOPyPdMpRIUpgrade naar KadastraleKaart Pro
gl6 Udv CuJsV Oyi4Upgrade naar KadastraleKaart Pro
8j1U5S6yUpgrade naar KadastraleKaart Pro
6vK huBQUpgrade naar KadastraleKaart Pro
rIg PTH3 M9w6vxJe PUpgrade naar KadastraleKaart Pro
hm9 CISKDXxmonBrFUpgrade naar KadastraleKaart Pro
unDyksj0MbvVlQD9dw0kCLUpgrade naar KadastraleKaart Pro
QzynHn3uRUpgrade naar KadastraleKaart Pro
23/04/2008

Percelen
Gebruik de zoekbalk of klik op een perceel om informatie over het perceel te bekijken.