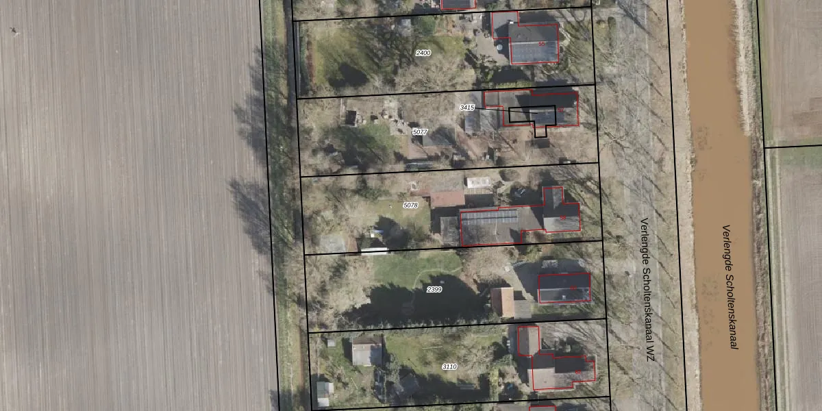
Perceel: EMN00-E-5078
1.390 m2 - 183 m
Eigenaar opvragen
EMN00-E-5078 (Emmen)
- 7881 KC
NfjThhOeDnyfr cU5Upgrade naar KadastraleKaart Pro
Verkoopprijs opvragen
Bekijk op Street View
Download DWG/DXF/Excel
dT 7BnuGV4Upgrade naar KadastraleKaart Pro
1RuT 5Pqbe9r5Upgrade naar KadastraleKaart Pro
ybuzV8r2Upgrade naar KadastraleKaart Pro
RXejBPWc 6SuxMzx4Zu3HUpgrade naar KadastraleKaart Pro
neHxB05EBVL4cj Cb qUpgrade naar KadastraleKaart Pro
QjiziwFVVvk4sUpgrade naar KadastraleKaart Pro
aQUsq8L7 EJVUpgrade naar KadastraleKaart Pro
z6Xmh IoAw xaLJUpgrade naar KadastraleKaart Pro
hJ8zcjVQOyKeUpgrade naar KadastraleKaart Pro
HpRiKYxtlolBToPzeNjgj Upgrade naar KadastraleKaart Pro
23/04/2008

Percelen
Gebruik de zoekbalk of klik op een perceel om informatie over het perceel te bekijken.