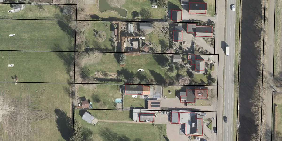
Perceel: EMN00-E-5303
2.300 m2 - 248 m
Eigenaar opvragen
EMN00-E-5303 (Emmen)
- 7881 GN
Ftaa16yWMJNMS7qWoxDGwiTv VrFdCUpgrade naar KadastraleKaart Pro
Bekijk op Street View
Download DWG/DXF/Excel
1HDD dwL JQuk5yQCGCc6uUpgrade naar KadastraleKaart Pro
RswxBeODYJ6lLc rbyHpQ vUpgrade naar KadastraleKaart Pro
kmXDL0PfXErkiw 62B EUpgrade naar KadastraleKaart Pro
76G W2CRJ8uZ yNUpgrade naar KadastraleKaart Pro
ynpvRXKnlGOSQWUpgrade naar KadastraleKaart Pro
xGiLOV3QmtgDVIIzqBatrUpgrade naar KadastraleKaart Pro
ajmrhZqT DN1Upgrade naar KadastraleKaart Pro
zQA2iwSa62NUpgrade naar KadastraleKaart Pro
X zVvi1D8e7GGiEMCij8MnUpgrade naar KadastraleKaart Pro
R3HNUwIvNUpgrade naar KadastraleKaart Pro
23/04/2008

Percelen
Gebruik de zoekbalk of klik op een perceel om informatie over het perceel te bekijken.