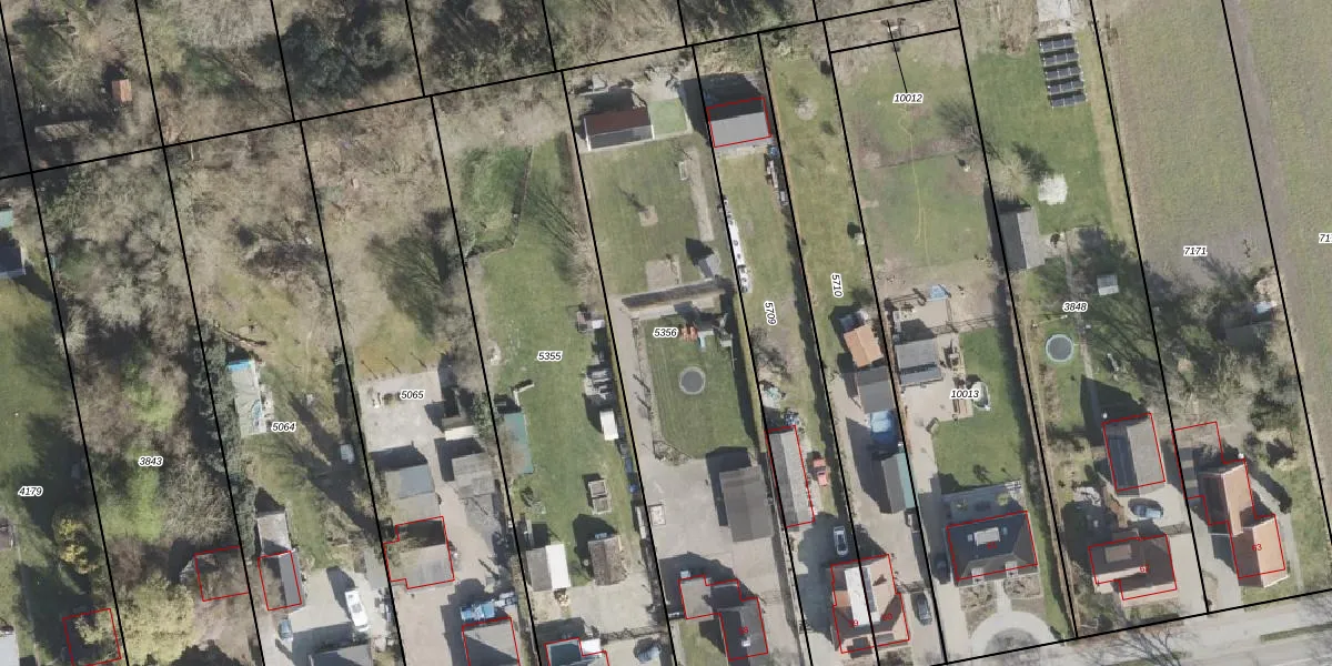
Perceel: EMN00-E-5356
1.975 m2 - 237 m
Eigenaar opvragen
EMN00-E-5356 (Emmen)
- 7881 KJ
9K9KHc JCzD1O8 q QUpgrade naar KadastraleKaart Pro
Verkoopprijs opvragen
Bekijk op Street View
Download DWG/DXF/Excel
FKSNyeALhINtUpgrade naar KadastraleKaart Pro
aabLU6SZwTQPAEUpgrade naar KadastraleKaart Pro
vtk6np3RSUpgrade naar KadastraleKaart Pro
YVp7lJn a0Upgrade naar KadastraleKaart Pro
BrDa9vlc2q00Upgrade naar KadastraleKaart Pro
zcy CuSty6fnFF58Upgrade naar KadastraleKaart Pro
CWTIH4QTUpgrade naar KadastraleKaart Pro
hgtdUuq5 2I yTXiehgUpgrade naar KadastraleKaart Pro
kL nKl1VhRFfrSUpgrade naar KadastraleKaart Pro
yeMRyUFbRUpgrade naar KadastraleKaart Pro
21/05/2008

Percelen
Gebruik de zoekbalk of klik op een perceel om informatie over het perceel te bekijken.