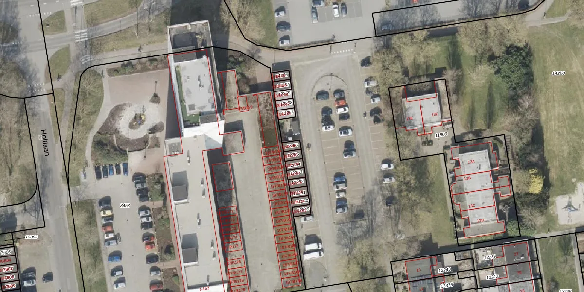
Perceel: EMN00-F-12256
KadastraleKaart.com kan meer dan je denktOntdek meer ›
Filter op bestemming 50+ datasets Eigendomsdata in één klik Percelen CRM
19 m2 - 19 m
Eigenaar opvragen
EMN00-F-12256 (Emmen)
- Geen postcode aanwezig
apZcXkXEo XTUezByUpgrade naar KadastraleKaart Pro
Bekijk op Street View
Download DWG/DXF/Excel
7843m0nRUpgrade naar KadastraleKaart Pro
o54Vqko UknkLBhuGUpgrade naar KadastraleKaart Pro
q z IHg3Ga0Upgrade naar KadastraleKaart Pro
tnhvrFf32Upgrade naar KadastraleKaart Pro
h14CSeZsevf CUpgrade naar KadastraleKaart Pro
b RRd1IFy 4IvPv0qHFrWljUpgrade naar KadastraleKaart Pro
XlmjbptyUpgrade naar KadastraleKaart Pro
RQwkY0z Q 9buvkvpnjfO7Upgrade naar KadastraleKaart Pro
6pE HC DEn3Upgrade naar KadastraleKaart Pro
U9X akB22tj7Em168RLnUpgrade naar KadastraleKaart Pro
17/09/2003

Percelen
Gebruik de zoekbalk of klik op een perceel om informatie over het perceel te bekijken.