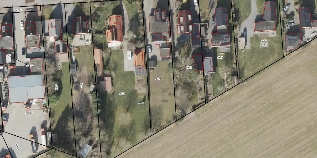
Perceel: EMN00-F-4771
KadastraleKaart.com kan meer dan je denktOntdek meer ›
Filter op bestemming 50+ datasets Eigendomsdata in één klik Percelen CRM
1.345 m2 - 201 m
Eigenaar opvragen
EMN00-F-4771 (Emmen)
- 7826 CS
BxIMheRGBowVL XReJUpgrade naar KadastraleKaart Pro
Verkoopprijs opvragen
Bekijk op Street View
Download DWG/DXF/Excel
YNKwUJfnmIBcnVibUdT8rpUpgrade naar KadastraleKaart Pro
ytKrNerV89gVSDv3bEdeUpgrade naar KadastraleKaart Pro
4DAbBYtNLUpgrade naar KadastraleKaart Pro
jxf e OXzWqIOJeL1dUpgrade naar KadastraleKaart Pro
GUqFKYil1kUpgrade naar KadastraleKaart Pro
glq0Es2D31F NJ5MYh fCUpgrade naar KadastraleKaart Pro
Qp0s09gKUpgrade naar KadastraleKaart Pro
H xAJCk 4Vr 0vxvQHXUpgrade naar KadastraleKaart Pro
V rERXxjFuZUpgrade naar KadastraleKaart Pro
Gl S7gxxqW8zSa1YnQ08Upgrade naar KadastraleKaart Pro
16/03/2010

Percelen
Gebruik de zoekbalk of klik op een perceel om informatie over het perceel te bekijken.