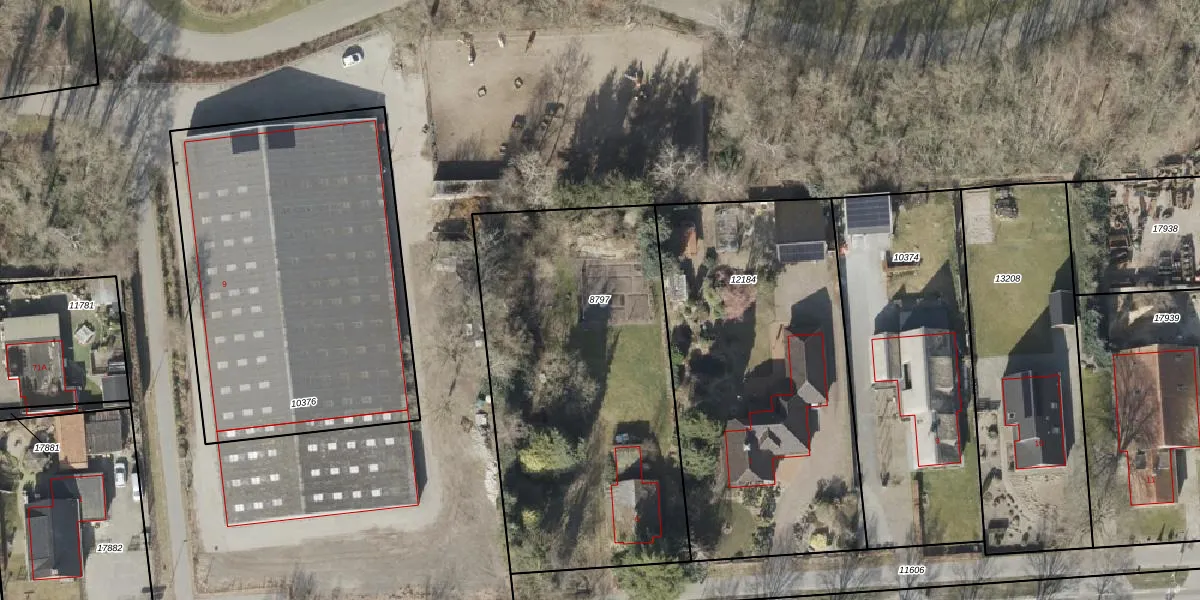
Perceel: EMN00-F-8797
KadastraleKaart.com kan meer dan je denktOntdek meer ›
Filter op bestemming 50+ datasets Eigendomsdata in één klik Percelen CRM
1.815 m2 - 181 m
Eigenaar opvragen
EMN00-F-8797 (Emmen)
- 7826 CN
QWq4RKV3zppcg3i 8T LFUpgrade naar KadastraleKaart Pro
Bekijk op Street View
Download DWG/DXF/Excel
VVsXU6QFkkb00WNUpgrade naar KadastraleKaart Pro
taTOZZr7RJ VjFS2bxUpgrade naar KadastraleKaart Pro
y1XS 7 RF KCmS9olMEYUpgrade naar KadastraleKaart Pro
Y 1EYSJmY faQuTE3Upgrade naar KadastraleKaart Pro
f0Poesr gUOqsK1bxdBeUpgrade naar KadastraleKaart Pro
TdjU4sEyUpgrade naar KadastraleKaart Pro
a5go CsvAPy89kXHmHbilUpgrade naar KadastraleKaart Pro
qdeanRpqUpgrade naar KadastraleKaart Pro
MTaTjq2 SOg7Zhy4o1glZleUpgrade naar KadastraleKaart Pro
gxgGJCTqp8oQUpgrade naar KadastraleKaart Pro
17/05/2011

Percelen
Gebruik de zoekbalk of klik op een perceel om informatie over het perceel te bekijken.