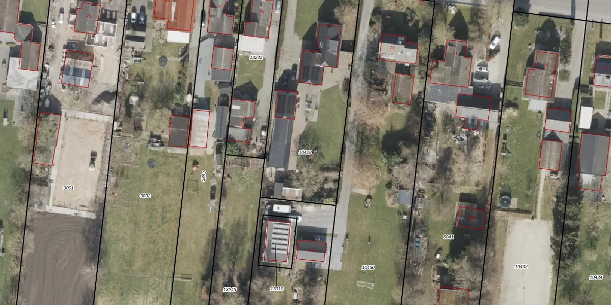
Perceel: EMN00-G-10428
KadastraleKaart.com kan meer dan je denktOntdek meer ›
Filter op bestemming 50+ datasets Eigendomsdata in één klik Percelen CRM
1.770 m2 - 191 m
Eigenaar opvragen
EMN00-G-10428 (Emmen)
- 7887 EZ
rBsw8zvLNjGeOFMmzuUpgrade naar KadastraleKaart Pro
Verkoopprijs opvragen
Bekijk op Street View
Download DWG/DXF/Excel
YZ FJXTQWs6JFVa4Upgrade naar KadastraleKaart Pro
yF5QnVPK JUpgrade naar KadastraleKaart Pro
bPR88Y4Qx9D i RetFVYUpgrade naar KadastraleKaart Pro
dzmiL hVomUpgrade naar KadastraleKaart Pro
KtDIUt iHQ0 Upgrade naar KadastraleKaart Pro
A6xC7Cas goL QwHiQcDOUpgrade naar KadastraleKaart Pro
00mNkWRyH2m5mF bBlCJX JUpgrade naar KadastraleKaart Pro
9AKOtDYKNoc54Upgrade naar KadastraleKaart Pro
9eq6HPNsh3QXS7OmCO4sUpgrade naar KadastraleKaart Pro
8SWh5D cXAZUUpgrade naar KadastraleKaart Pro
24/03/2020

Percelen
Gebruik de zoekbalk of klik op een perceel om informatie over het perceel te bekijken.