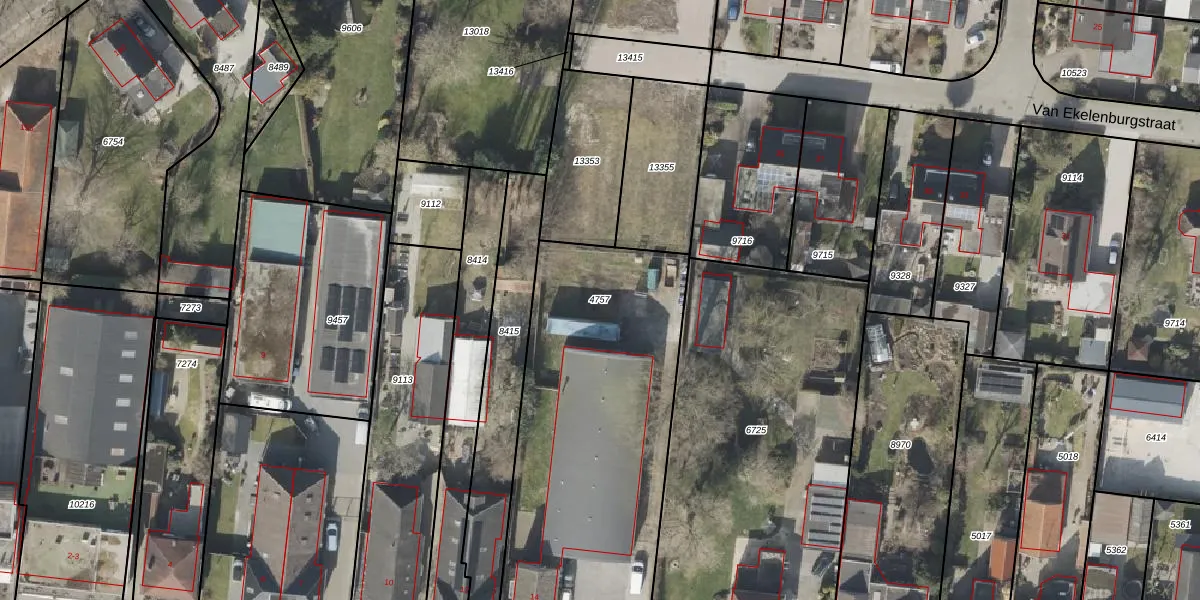
Perceel: EMN00-G-4757
1.900 m2 - 201 m
Eigenaar opvragen
EMN00-G-4757 (Emmen)
- 7833 HA
Km2D Rz9XzVztza7z DqG5HUpgrade naar KadastraleKaart Pro
Verkoopprijs opvragen
Bekijk op Street View
Download DWG/DXF/Excel
uB J DjYlY57mVClmIO0d8Upgrade naar KadastraleKaart Pro
m26zQIFIo17WUFsWR Upgrade naar KadastraleKaart Pro
YEfD9yHgHZlb UhvUpgrade naar KadastraleKaart Pro
yK2I64 78 GMvZUpgrade naar KadastraleKaart Pro
EG6tLK0QiUpgrade naar KadastraleKaart Pro
p1 XjaeNPQZ2BrbwUpgrade naar KadastraleKaart Pro
pn x2B EGALuUpgrade naar KadastraleKaart Pro
fBIbRSUmcs49 Oaw9TiAUpgrade naar KadastraleKaart Pro
47WIr6XIXREsKQgDUpgrade naar KadastraleKaart Pro
AQjL9HSMUpgrade naar KadastraleKaart Pro
27/08/2025

Percelen
Gebruik de zoekbalk of klik op een perceel om informatie over het perceel te bekijken.