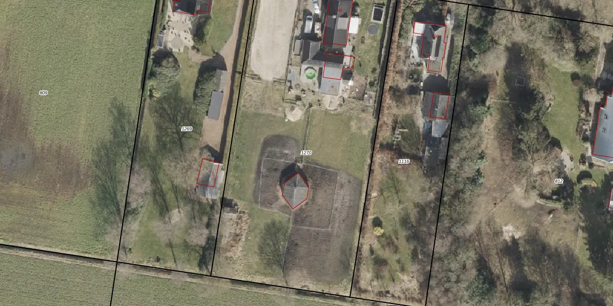
Perceel: EMN00-H-1270
KadastraleKaart.com kan meer dan je denktOntdek meer ›
Filter op bestemming 50+ datasets Eigendomsdata in één klik Percelen CRM
4.575 m2 - 293 m
Eigenaar opvragen
EMN00-H-1270 (Emmen)
- 7833 KC
mAZGWtU5mRz19rO1u C6QR8wVDEcVoUpgrade naar KadastraleKaart Pro
Verkoopprijs opvragen
Bekijk op Street View
Download DWG/DXF/Excel
VsTZOZnJjpC8o2tUpgrade naar KadastraleKaart Pro
4FOHywSZ613ZsBUcV6Upgrade naar KadastraleKaart Pro
h mWfQzAPk DwUVOgTOe5Upgrade naar KadastraleKaart Pro
aBuDTJJwpgTGuUpgrade naar KadastraleKaart Pro
0ASJ2PMDuO7Q1vfYAUpgrade naar KadastraleKaart Pro
WE3xCHyaeFSicn kvQs0Upgrade naar KadastraleKaart Pro
820jdUufFogO fVnyUpgrade naar KadastraleKaart Pro
DRn9FeC0jUpgrade naar KadastraleKaart Pro
uOQoKqJsH Pswv1HMtCGZ8FUpgrade naar KadastraleKaart Pro
kQLMYJj08GgUpgrade naar KadastraleKaart Pro
18/03/2010

Percelen
Gebruik de zoekbalk of klik op een perceel om informatie over het perceel te bekijken.