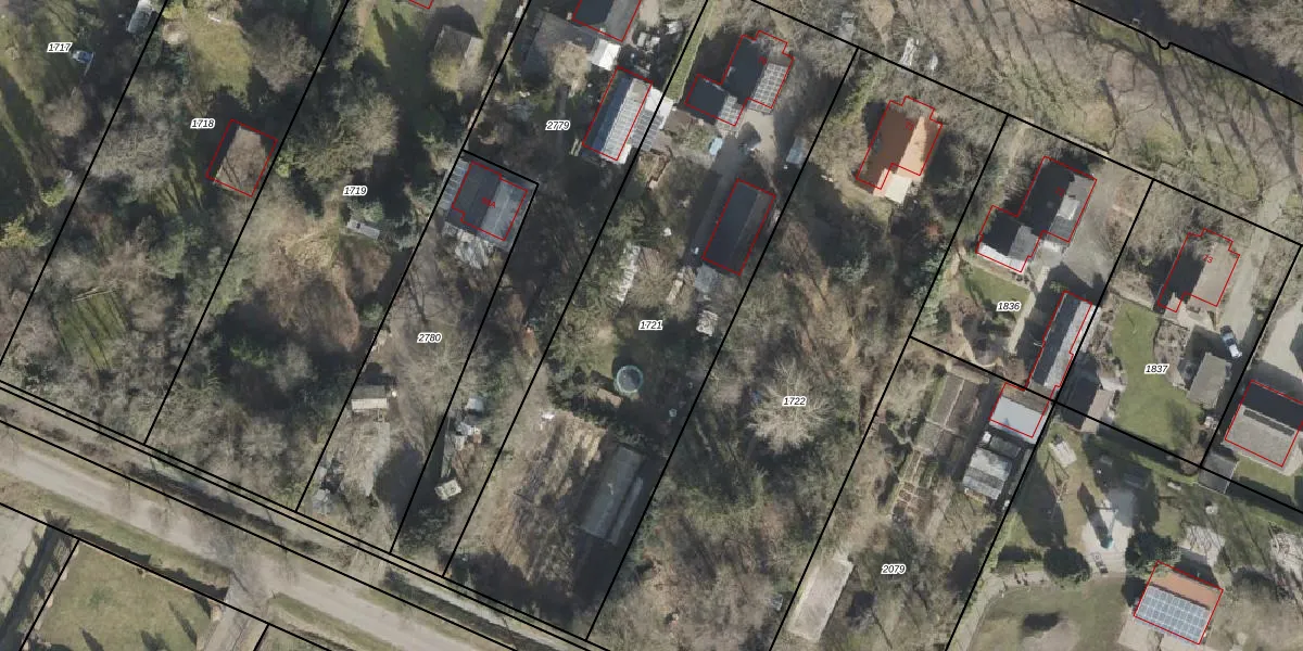
Perceel: EMN00-H-1721
2.483 m2 - 249 m
Eigenaar opvragen
EMN00-H-1721 (Emmen)
- 7887 TJ
y AxGwRZvMmWXMBk6sUpgrade naar KadastraleKaart Pro
Verkoopprijs opvragen
Bekijk op Street View
Download DWG/DXF/Excel
VpcA6aP8A Upgrade naar KadastraleKaart Pro
is3Uc 3ufXHBG61gg 8Upgrade naar KadastraleKaart Pro
g1eRY 2hy1Mq WQXUpgrade naar KadastraleKaart Pro
SFMWqKAXM37Kh08kUpgrade naar KadastraleKaart Pro
UzPP8rcJW AbtvWALUpgrade naar KadastraleKaart Pro
9dG 0rc gfAOX5g8 kEUpgrade naar KadastraleKaart Pro
anQ9ZOajg0Upgrade naar KadastraleKaart Pro
wBChV3VB4qPsUpgrade naar KadastraleKaart Pro
pnx8RCRe1r49tvXQOjUpgrade naar KadastraleKaart Pro
c ystApGTRVSYlQP7FvyUpgrade naar KadastraleKaart Pro
22/03/2010

Percelen
Gebruik de zoekbalk of klik op een perceel om informatie over het perceel te bekijken.