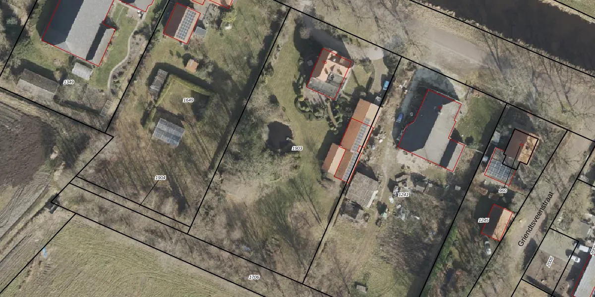
Perceel: EMN00-H-1903
KadastraleKaart.com kan meer dan je denktOntdek meer ›
Filter op bestemming 50+ datasets Eigendomsdata in één klik Percelen CRM
3.427 m2 - 250 m
Eigenaar opvragen
EMN00-H-1903 (Emmen)
- 7887 TH
5Hoqf3XqxJB9j0XiwzWxTlEzCUpgrade naar KadastraleKaart Pro
Verkoopprijs opvragen
Bekijk op Street View
Download DWG/DXF/Excel
kgipjCuZgREUpgrade naar KadastraleKaart Pro
QmWHgZL8BvjUpgrade naar KadastraleKaart Pro
zgapR9f DwE2eFUpgrade naar KadastraleKaart Pro
ID43CODkp2uUpgrade naar KadastraleKaart Pro
HZtEHK gUpgrade naar KadastraleKaart Pro
SkC eMq76Zv 1Upgrade naar KadastraleKaart Pro
OOZ7Ht7Tz0J02VgyFSkunnnUpgrade naar KadastraleKaart Pro
mH6YX faud9Ww4h3Upgrade naar KadastraleKaart Pro
jZmSgZ 6 kfDUpgrade naar KadastraleKaart Pro
48BlDPOLjvVc0HoxP6 FOmUpgrade naar KadastraleKaart Pro
18/03/2010

Percelen
Gebruik de zoekbalk of klik op een perceel om informatie over het perceel te bekijken.