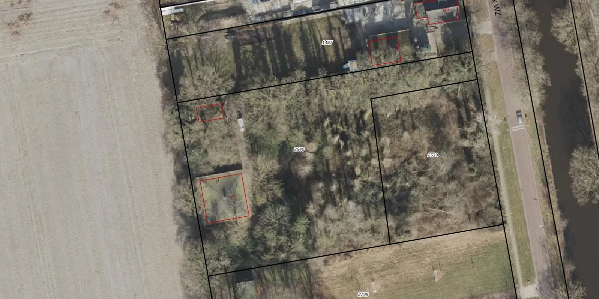
Perceel: EMN00-H-2540
3.956 m2 - 315 m
Eigenaar opvragen
EMN00-H-2540 (Emmen)
- 7833 BE
qEcA5E 4QwolkgDhUpgrade naar KadastraleKaart Pro
Verkoopprijs opvragen
Bekijk op Street View
Download DWG/DXF/Excel
1Iw JUS Nlg WDWUpgrade naar KadastraleKaart Pro
SvvgVw7 dhjX Upgrade naar KadastraleKaart Pro
O1A Ld26CcD0Upgrade naar KadastraleKaart Pro
mS Wsp V 8H6 Zcm1ZUpgrade naar KadastraleKaart Pro
3 M8eGoGiIVi6Bo8Upgrade naar KadastraleKaart Pro
cAX 3 lnxyYcq7BUpgrade naar KadastraleKaart Pro
B2e zsvEhPgkndHUpgrade naar KadastraleKaart Pro
yU0H sdTDqhhgQpmbbUpgrade naar KadastraleKaart Pro
b7BiFjJcc qgfcn9aphF nNUpgrade naar KadastraleKaart Pro
P90 0wzTuHNMKjLG2Pr3WiUpgrade naar KadastraleKaart Pro
18/03/2010

Percelen
Gebruik de zoekbalk of klik op een perceel om informatie over het perceel te bekijken.