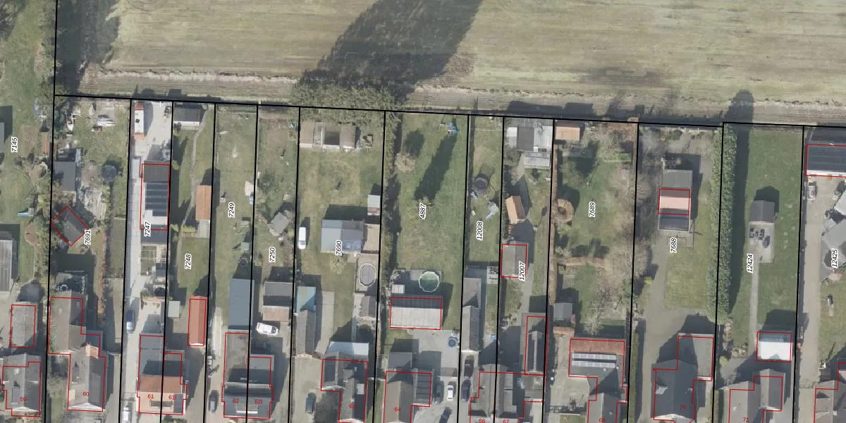
Perceel: EMN00-I-4887
1.930 m2 - 234 m
Eigenaar opvragen
EMN00-I-4887 (Emmen)
- 7894 EE
zedVCHGpG zkGFr6ZBPUpgrade naar KadastraleKaart Pro
Verkoopprijs opvragen
Bekijk op Street View
Download DWG/DXF/Excel
rGzB8Oin6QyE R d icivUpgrade naar KadastraleKaart Pro
4q0n Z 7SRUpgrade naar KadastraleKaart Pro
9tZx tZCpzUpgrade naar KadastraleKaart Pro
R8ZNxE WqCzw8Vj f9tKGUpgrade naar KadastraleKaart Pro
fHQVPL8ykkSDS1BxUpgrade naar KadastraleKaart Pro
XY00hSilaUpgrade naar KadastraleKaart Pro
vyADHTe7Upgrade naar KadastraleKaart Pro
h XBwfe8wk 5skeDqgUpgrade naar KadastraleKaart Pro
QKLfd 80E2Upgrade naar KadastraleKaart Pro
Y9LTikgN1Upgrade naar KadastraleKaart Pro
23/03/2010

Percelen
Gebruik de zoekbalk of klik op een perceel om informatie over het perceel te bekijken.