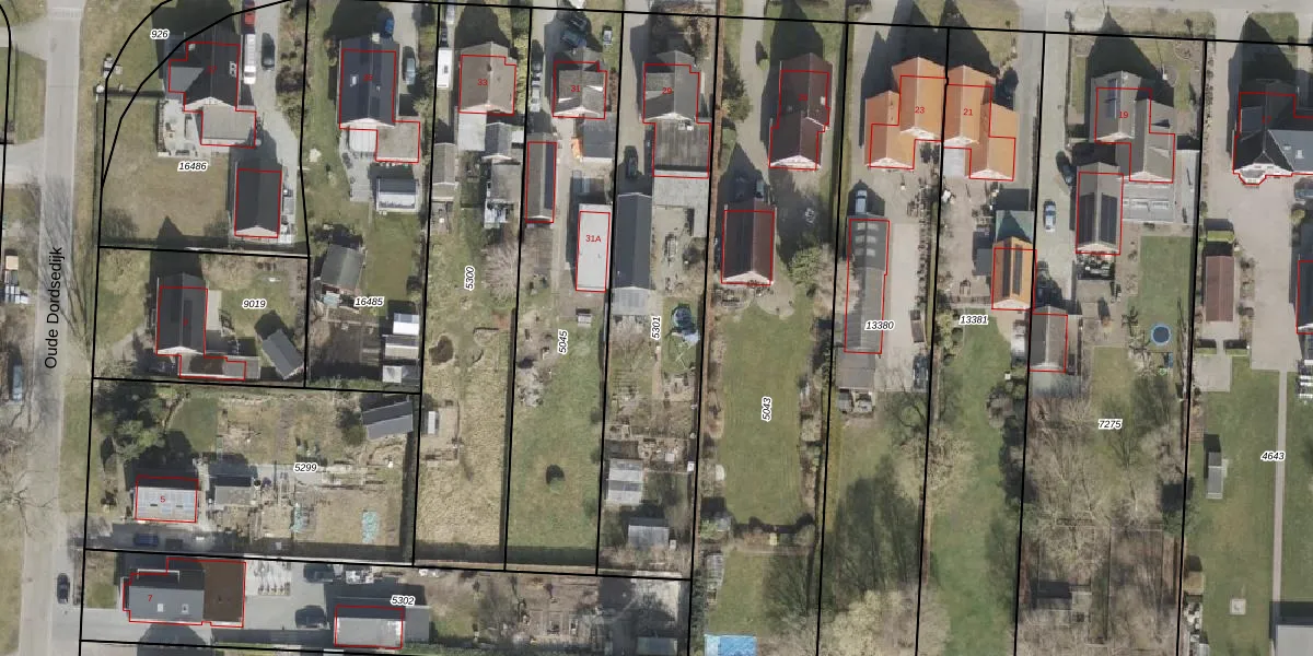
Perceel: EMN00-I-5301
1.250 m2 - 201 m
Eigenaar opvragen
EMN00-I-5301 (Emmen)
- 7891 NW
IU2MG WLPcdlY6PaXalkONIUpgrade naar KadastraleKaart Pro
Verkoopprijs opvragen
Bekijk op Street View
Download DWG/DXF/Excel
8dimBoPv3Upgrade naar KadastraleKaart Pro
ipCPtjqYcNUpgrade naar KadastraleKaart Pro
4670xZrKUpgrade naar KadastraleKaart Pro
w2 ntqiWUpgrade naar KadastraleKaart Pro
k u1r j0ZUpgrade naar KadastraleKaart Pro
SH fxP S FuUpgrade naar KadastraleKaart Pro
LyQI2zwPUpgrade naar KadastraleKaart Pro
zep7FbCqu 1wsUpgrade naar KadastraleKaart Pro
ZKdmlId7 URgCUpgrade naar KadastraleKaart Pro
GJdEpi1 qAUpgrade naar KadastraleKaart Pro
22/03/2010

Percelen
Gebruik de zoekbalk of klik op een perceel om informatie over het perceel te bekijken.