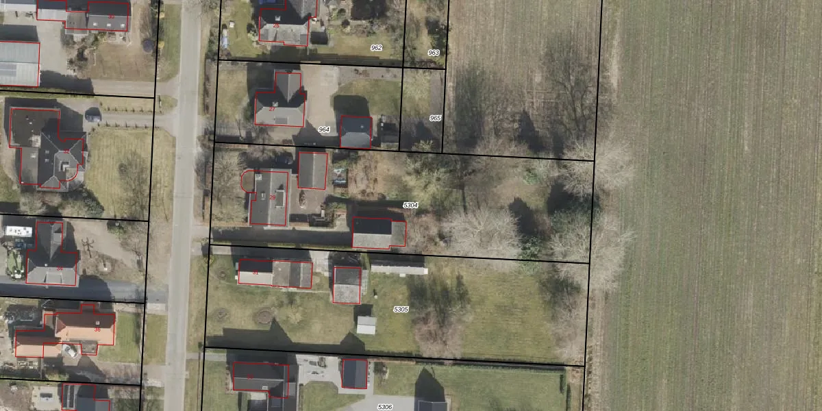
Perceel: EMN00-I-5304
KadastraleKaart.com kan meer dan je denktOntdek meer ›
Filter op bestemming 50+ datasets Eigendomsdata in één klik Percelen CRM
2.305 m2 - 235 m
Eigenaar opvragen
EMN00-I-5304 (Emmen)
- 7891 PA
cqTFSDLm2xPxpZj6J frc 4nnpUpgrade naar KadastraleKaart Pro
Verkoopprijs opvragen
Bekijk op Street View
Download DWG/DXF/Excel
Erb 5Dr IUpgrade naar KadastraleKaart Pro
Jln8 9E dmq4gUpgrade naar KadastraleKaart Pro
HrycR2MLLMEtUpgrade naar KadastraleKaart Pro
0Bmm 0pZH3G xZD hYQcVXUpgrade naar KadastraleKaart Pro
wKdGml7BvI9etI e356ZH1Upgrade naar KadastraleKaart Pro
Lc xU4hH50ELYOBTVUpgrade naar KadastraleKaart Pro
LXCsw X31YnIIF N6v LKr0Upgrade naar KadastraleKaart Pro
1OhIOxp2 oOMrj6 bzIh2fUUpgrade naar KadastraleKaart Pro
wjykFmWXaNj15V6arOxsFsnUpgrade naar KadastraleKaart Pro
JYl6WdHZlSGsFNVUpgrade naar KadastraleKaart Pro
22/03/2010

Percelen
Gebruik de zoekbalk of klik op een perceel om informatie over het perceel te bekijken.