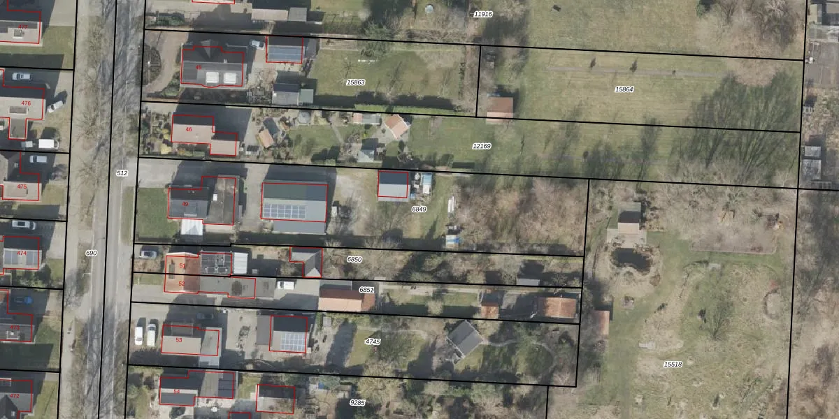
Perceel: EMN00-I-6849
KadastraleKaart.com kan meer dan je denktOntdek meer ›
Filter op bestemming 50+ datasets Eigendomsdata in één klik Percelen CRM
2.120 m2 - 255 m
Eigenaar opvragen
EMN00-I-6849 (Emmen)
- 7891 NK
8AVNcW j0dte2SY me76T8DFUpgrade naar KadastraleKaart Pro
Verkoopprijs opvragen
Bekijk op Street View
Download DWG/DXF/Excel
AVbm5jd2AQRWNmwmqzCdUpgrade naar KadastraleKaart Pro
JbIMOddN iAfdkZz FUpgrade naar KadastraleKaart Pro
OMlzhaMguOqdgs4aLUpgrade naar KadastraleKaart Pro
4jVkzucTn2gkoAWDAbgLrsUpgrade naar KadastraleKaart Pro
P21M5LpC Upgrade naar KadastraleKaart Pro
1 ZAe1IXZqQ fUpgrade naar KadastraleKaart Pro
zae mbAbUuVUpgrade naar KadastraleKaart Pro
IgP ZvssXSnDNYudcTUpgrade naar KadastraleKaart Pro
5AE LwouBiUpgrade naar KadastraleKaart Pro
KyZtJnllUpgrade naar KadastraleKaart Pro
16/03/2010

Percelen
Gebruik de zoekbalk of klik op een perceel om informatie over het perceel te bekijken.