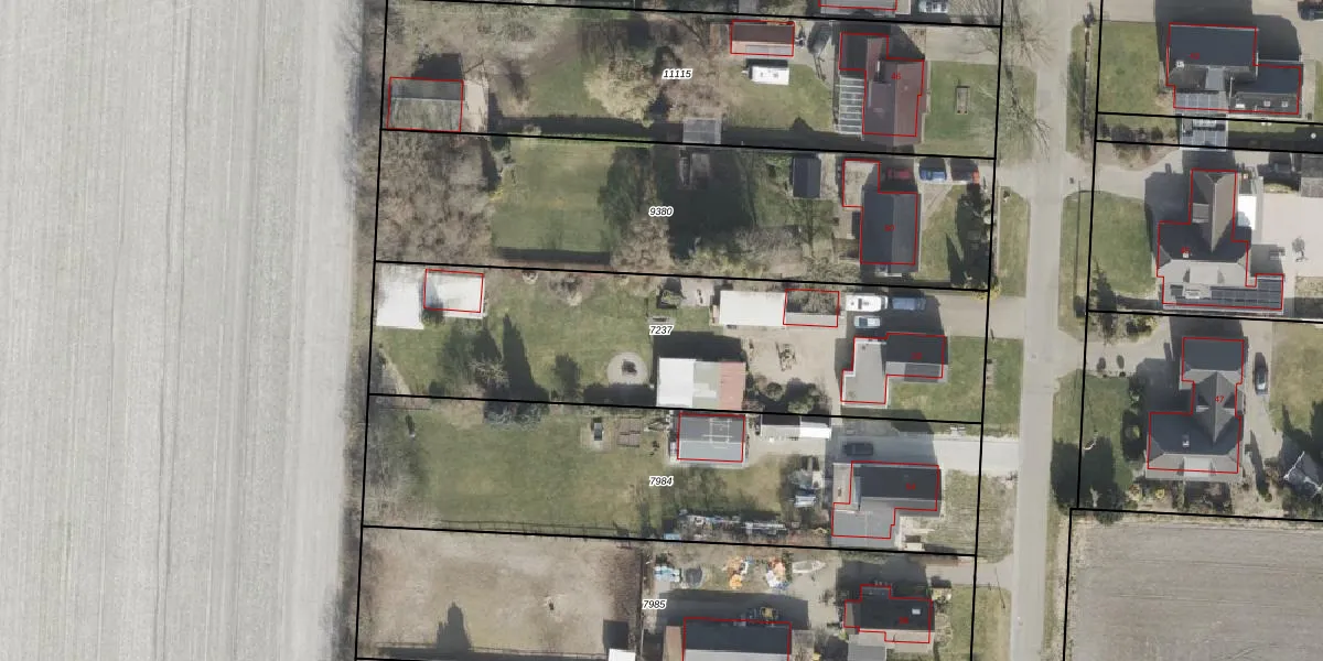
Perceel: EMN00-I-7237
1.857 m2 - 226 m
Eigenaar opvragen
EMN00-I-7237 (Emmen)
- 7891 PC
3X5XazDPZ EZ KMhASPa5MjvqUpgrade naar KadastraleKaart Pro
Verkoopprijs opvragen
Bekijk op Street View
Download DWG/DXF/Excel
R62wBlq9HRSUpgrade naar KadastraleKaart Pro
0Ao Q2gr6CUpgrade naar KadastraleKaart Pro
eKkG0HR pgUpgrade naar KadastraleKaart Pro
eECqmQVkJtCUpgrade naar KadastraleKaart Pro
c0ehQxc8Cw4zPUpgrade naar KadastraleKaart Pro
YQHFptw0c rYUpgrade naar KadastraleKaart Pro
XfjZn0atuUpgrade naar KadastraleKaart Pro
3tqU WzwUpgrade naar KadastraleKaart Pro
ZHDihlpfvYqIAWEYsUpgrade naar KadastraleKaart Pro
73tWPMhIvClD3tzUpgrade naar KadastraleKaart Pro
22/03/2010

Percelen
Gebruik de zoekbalk of klik op een perceel om informatie over het perceel te bekijken.