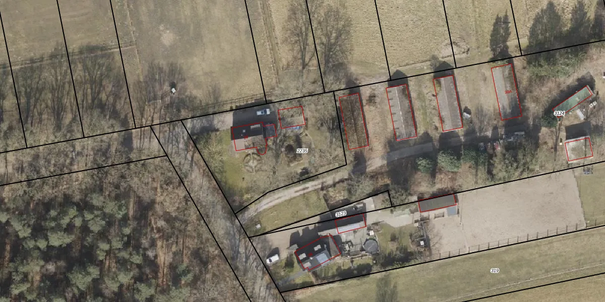
Perceel: EMN00-K-2235
1.314 m2 - 153 m
Eigenaar opvragen
EMN00-K-2235 (Emmen)
- 7812 BV
jeqZ rPE3hMU8JjjUxUpgrade naar KadastraleKaart Pro
Bekijk op Street View
Download DWG/DXF/Excel
6E K9H18Z0lt6XzfUpgrade naar KadastraleKaart Pro
VdLvYQCEJUpgrade naar KadastraleKaart Pro
JG58dShIHF K32SUIBs i3Upgrade naar KadastraleKaart Pro
v c0TPfc8TLjophIGxaSCbXUpgrade naar KadastraleKaart Pro
k X1fF4rUpgrade naar KadastraleKaart Pro
Ne5bcE4UKUpgrade naar KadastraleKaart Pro
0sVaXqNjMiw2TR Upgrade naar KadastraleKaart Pro
BwgP wsB G lQCvdUpgrade naar KadastraleKaart Pro
9B3e lWHL oKzvDFyCO1Upgrade naar KadastraleKaart Pro
gq2QMps LUpgrade naar KadastraleKaart Pro
16/09/2003

Percelen
Gebruik de zoekbalk of klik op een perceel om informatie over het perceel te bekijken.