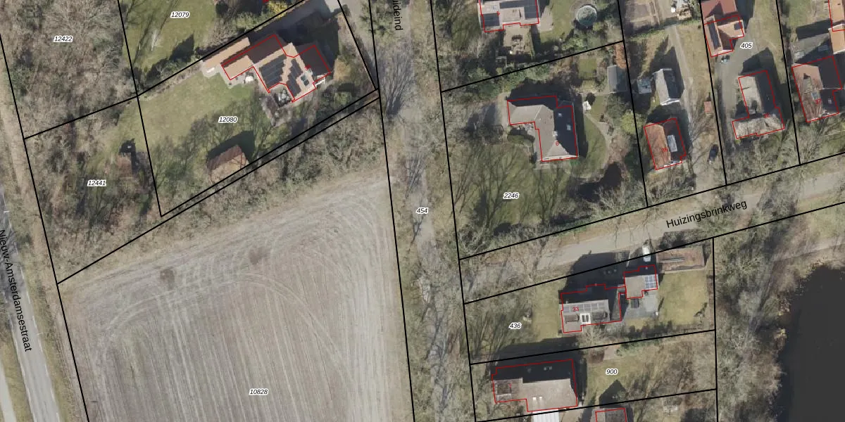
Perceel: EMN00-K-454
Geen adressen bij dit perceel
5.610 m2 - 805 m
Eigenaar opvragen
EMN00-K-454 (Emmen)
- Geen postcode aanwezig
JnpVxcL2MqzySoFfUt Upgrade naar KadastraleKaart Pro
Bekijk op Street View
Download DWG/DXF/Excel
dOC5W0Sx 3 466jjVZwepc Upgrade naar KadastraleKaart Pro
xCS 3 bxsYi6BgO4QUpgrade naar KadastraleKaart Pro
zFyVj pStgkUpgrade naar KadastraleKaart Pro
d2sllX6b lIx6Upgrade naar KadastraleKaart Pro
g3aIZektM1QfZdsftf0fOUpgrade naar KadastraleKaart Pro
Xn W0aSYR2P5h1uDUpgrade naar KadastraleKaart Pro
5Z IZONK8g37BHUpgrade naar KadastraleKaart Pro
PkMDlDukb h2M LUpgrade naar KadastraleKaart Pro
o2JPt4zSa9s84yYnyUpgrade naar KadastraleKaart Pro
s87HtKyfczsUpgrade naar KadastraleKaart Pro
22/06/2012

Percelen
Gebruik de zoekbalk of klik op een perceel om informatie over het perceel te bekijken.