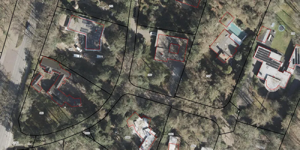
Perceel: EMN00-L-356
KadastraleKaart.com kan meer dan je denktOntdek meer ›
Filter op bestemming 50+ datasets Eigendomsdata in één klik Percelen CRM
1.485 m2 - 154 m
Eigenaar opvragen
EMN00-L-356 (Emmen)
- 7822 BB
2jaGgZV69J QaMn vyl7Gxf6rmUpgrade naar KadastraleKaart Pro
Verkoopprijs opvragen
Bekijk op Street View
Download DWG/DXF/Excel
mG1UXYdU JwpccsNoUpgrade naar KadastraleKaart Pro
t4FA0FOpY6 heaUpgrade naar KadastraleKaart Pro
b7ez EANMybfGUpgrade naar KadastraleKaart Pro
kf ICDM05O AHH6vUpgrade naar KadastraleKaart Pro
cnsfppj1TtHvgLFUpgrade naar KadastraleKaart Pro
PPJ2pmcwMUpgrade naar KadastraleKaart Pro
yeYlx DN8dwUpgrade naar KadastraleKaart Pro
XXAAb7j W qy Fw3abtUpgrade naar KadastraleKaart Pro
C7 Iqb30OLvUpgrade naar KadastraleKaart Pro
ba0j pTyvQ F9jtPUpgrade naar KadastraleKaart Pro
18/09/2003

Percelen
Gebruik de zoekbalk of klik op een perceel om informatie over het perceel te bekijken.