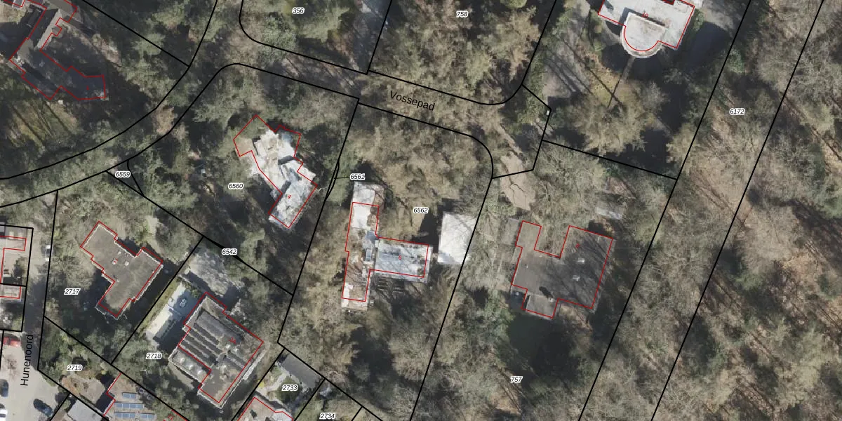
Perceel: EMN00-L-6562
KadastraleKaart.com kan meer dan je denktOntdek meer ›
Filter op bestemming 50+ datasets Eigendomsdata in één klik Percelen CRM
2.370 m2 - 203 m
Eigenaar opvragen
EMN00-L-6562 (Emmen)
- 7822 BB
ipk 3onUSzSs2VAGmzQktf nVoENUpgrade naar KadastraleKaart Pro
Verkoopprijs opvragen
Bekijk op Street View
Download DWG/DXF/Excel
wSwe3aAmL JIc8H1 YtzJWUpgrade naar KadastraleKaart Pro
Sp3Gk OGP6Upgrade naar KadastraleKaart Pro
oe xDMrLVxvLXsUpgrade naar KadastraleKaart Pro
TSPDH8B WUpgrade naar KadastraleKaart Pro
4lKMTk35 VV 3kEtuUpgrade naar KadastraleKaart Pro
i3IxnZKhyUpgrade naar KadastraleKaart Pro
SShUKVS Upgrade naar KadastraleKaart Pro
yt1gpHubTdJgGG2A YOjTpUpgrade naar KadastraleKaart Pro
ukFFKR00Upgrade naar KadastraleKaart Pro
p CaprSyUpgrade naar KadastraleKaart Pro
30/01/2026

Percelen
Gebruik de zoekbalk of klik op een perceel om informatie over het perceel te bekijken.