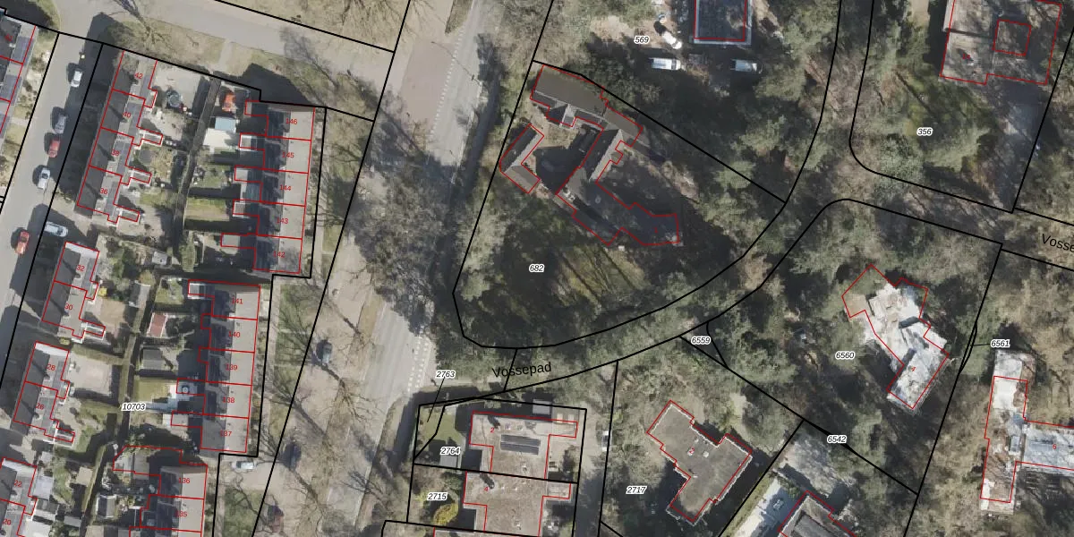
Perceel: EMN00-L-682
KadastraleKaart.com kan meer dan je denktOntdek meer ›
Filter op bestemming 50+ datasets Eigendomsdata in één klik Percelen CRM
1.974 m2 - 178 m
Eigenaar opvragen
EMN00-L-682 (Emmen)
- 7822 BA
WB1 on9DM0w UkK Tm2G7kQv Upgrade naar KadastraleKaart Pro
Bekijk op Street View
Download DWG/DXF/Excel
mJZf fhr TpieY1cjUpgrade naar KadastraleKaart Pro
IjOncV9aU0Upgrade naar KadastraleKaart Pro
hjRh ukBkUpgrade naar KadastraleKaart Pro
ACODZ0jNuuUpgrade naar KadastraleKaart Pro
sjC0H5731Upgrade naar KadastraleKaart Pro
T3 Ftg8Upgrade naar KadastraleKaart Pro
Rr ydSi9u9AUpgrade naar KadastraleKaart Pro
PSrcGjycUpgrade naar KadastraleKaart Pro
ng r PD7oxQUpgrade naar KadastraleKaart Pro
2 Tr iLJGsCbD33vMxX HMUpgrade naar KadastraleKaart Pro
29/03/2007

Percelen
Gebruik de zoekbalk of klik op een perceel om informatie over het perceel te bekijken.