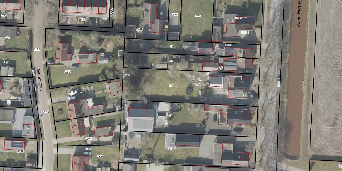
Perceel: EMN00-M-16
KadastraleKaart.com kan meer dan je denktOntdek meer ›
Filter op bestemming 50+ datasets Eigendomsdata in één klik Percelen CRM
1.510 m2 - 197 m
Eigenaar opvragen
EMN00-M-16 (Emmen)
- 7894 AK
RD 1PwukJPO QY FaN5ko0Khi9WUpgrade naar KadastraleKaart Pro
Verkoopprijs opvragen
Bekijk op Street View
Download DWG/DXF/Excel
1Joh9AV7 febpvsIasnErUpgrade naar KadastraleKaart Pro
fnJcRf AL W0 r54wwAFcUpgrade naar KadastraleKaart Pro
W9u S3YNU2FcOEUpgrade naar KadastraleKaart Pro
od PEG4 i cWo Upgrade naar KadastraleKaart Pro
KHvelp IT4oO4brLIUpgrade naar KadastraleKaart Pro
cxSwEU zi9as6Vfy MUpgrade naar KadastraleKaart Pro
5 j26zfYUpgrade naar KadastraleKaart Pro
JaIb6JQgn mDK9Upgrade naar KadastraleKaart Pro
R3fs4yFCbboj25FEhGqwEUpgrade naar KadastraleKaart Pro
lrC5 8kQcRQod3doJ HnUpgrade naar KadastraleKaart Pro
16/03/2010

Percelen
Gebruik de zoekbalk of klik op een perceel om informatie over het perceel te bekijken.