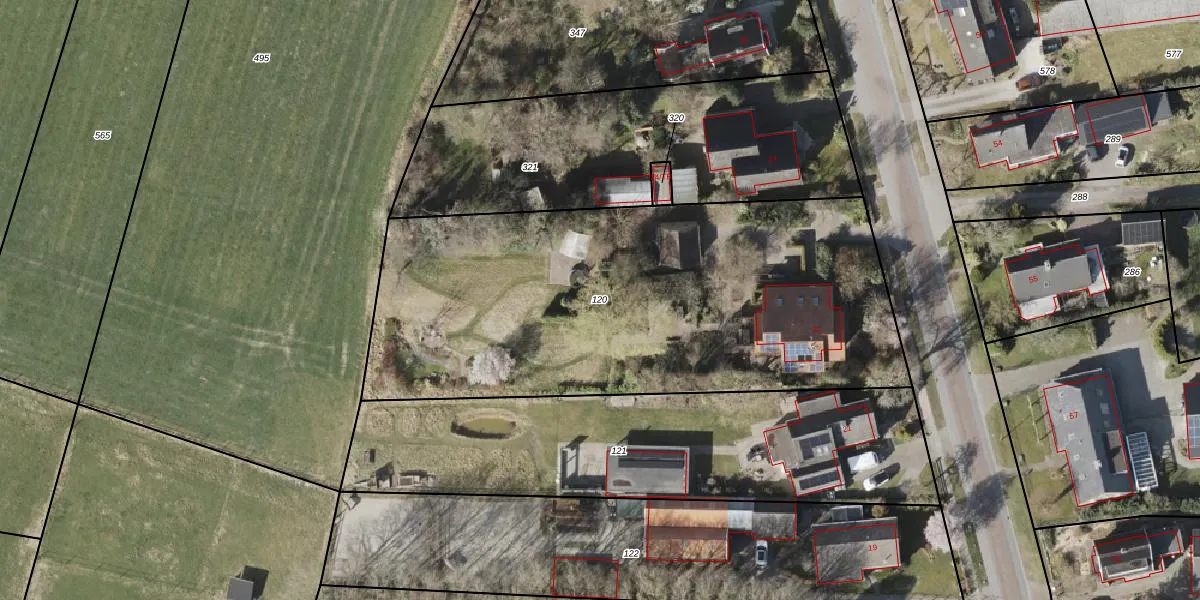
Perceel: EMN00-S-120
KadastraleKaart.com kan meer dan je denktOntdek meer ›
Filter op bestemming 50+ datasets Eigendomsdata in één klik Percelen CRM
2.698 m2 - 235 m
Eigenaar opvragen
EMN00-S-120 (Emmen)
- 7814 PD
x9 PL j3Wvgo j0eoAdUpgrade naar KadastraleKaart Pro
Bekijk op Street View
Download DWG/DXF/Excel
pNHgElYU9Zd qozUpgrade naar KadastraleKaart Pro
If1Dqig zthN4Upgrade naar KadastraleKaart Pro
6T3 O o9 iUpgrade naar KadastraleKaart Pro
ZT6v8 a 1l8 Upgrade naar KadastraleKaart Pro
lvYS2H8IEP7k02hK37oUpgrade naar KadastraleKaart Pro
f14LFXuzF63F QcBx7IUpgrade naar KadastraleKaart Pro
fX MiHCAqV9rMbx4I D4G1iUpgrade naar KadastraleKaart Pro
VwTF wGl 6NQUpgrade naar KadastraleKaart Pro
x7J5cfvrUpgrade naar KadastraleKaart Pro
c3KGFuVeUSyLmUpgrade naar KadastraleKaart Pro
08/12/2005

Percelen
Gebruik de zoekbalk of klik op een perceel om informatie over het perceel te bekijken.