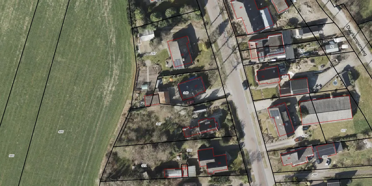
Perceel: EMN00-S-346
KadastraleKaart.com kan meer dan je denktOntdek meer ›
Filter op bestemming 50+ datasets Eigendomsdata in één klik Percelen CRM
592 m2 - 103 m
Eigenaar opvragen
EMN00-S-346 (Emmen)
- 7814 PD
DDAp6GXwJ1rkjlmSgdb7Upgrade naar KadastraleKaart Pro
Bekijk op Street View
Download DWG/DXF/Excel
FQDlZ4pxQGDAUpgrade naar KadastraleKaart Pro
r1t4 k9qfeUpgrade naar KadastraleKaart Pro
kQoZ ZD4hQlI0Upgrade naar KadastraleKaart Pro
vjRqE4G2ioY ar9IGxd2IaPUpgrade naar KadastraleKaart Pro
mosnALSrE BnY aN 2kUpgrade naar KadastraleKaart Pro
d lzH El mymfMH GGQnUpgrade naar KadastraleKaart Pro
G8uYRSKj0QKTMUpgrade naar KadastraleKaart Pro
rB pmmmN jUpgrade naar KadastraleKaart Pro
eKgX twOczh0Yil5SUpgrade naar KadastraleKaart Pro
uWvv80GYN cJQUpgrade naar KadastraleKaart Pro
04/08/2003

Percelen
Gebruik de zoekbalk of klik op een perceel om informatie over het perceel te bekijken.