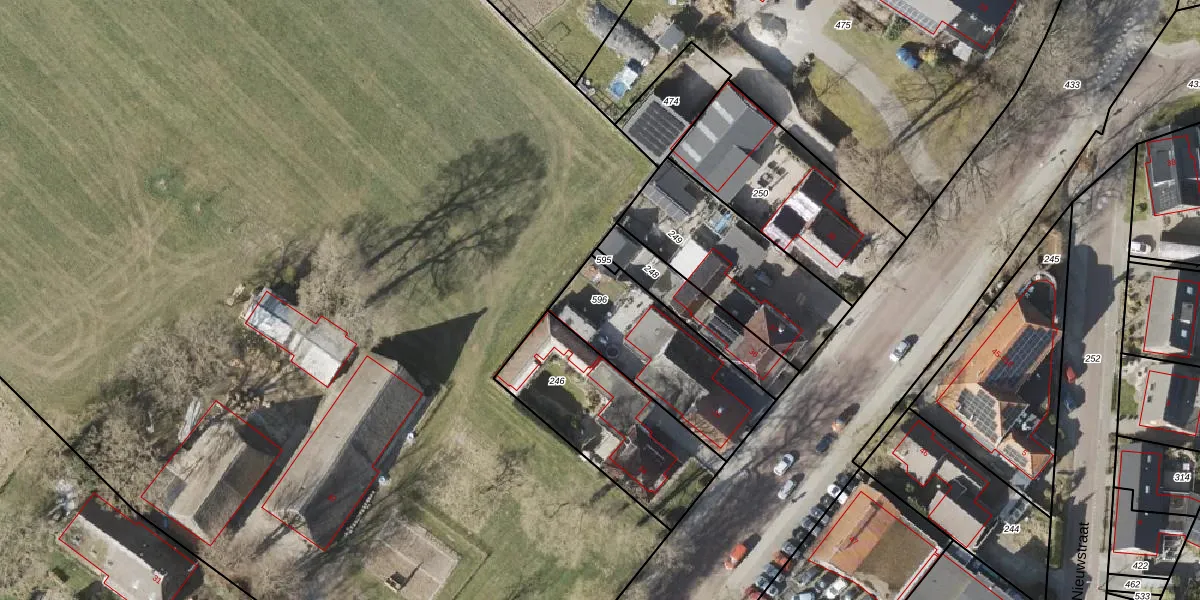
Perceel: EMN00-S-596
KadastraleKaart.com kan meer dan je denktOntdek meer ›
Filter op bestemming 50+ datasets Eigendomsdata in één klik Percelen CRM
512 m2 - 105 m
Eigenaar opvragen
EMN00-S-596 (Emmen)
- 7814 PS
7u4QeJXUzyg xAauaMFeProI0Upgrade naar KadastraleKaart Pro
Verkoopprijs opvragen
Bekijk op Street View
Download DWG/DXF/Excel
UwtM4 oOy8jo4cD oPUpgrade naar KadastraleKaart Pro
xkDrGFL3duUpgrade naar KadastraleKaart Pro
kqS9 IqB cGqjhUpgrade naar KadastraleKaart Pro
OaVgKqZ77eWLhR jDtaEemUpgrade naar KadastraleKaart Pro
jVb7u5P GUpgrade naar KadastraleKaart Pro
5j a pOhIq gdVgagLpFvUpgrade naar KadastraleKaart Pro
GI3Mr4DNUpgrade naar KadastraleKaart Pro
MRARggXdiwuC3J8TwRXUpgrade naar KadastraleKaart Pro
uoGxMAZcCVG1w34wUpgrade naar KadastraleKaart Pro
Y8sNJgqmLTuC4Upgrade naar KadastraleKaart Pro
21/05/2025

Percelen
Gebruik de zoekbalk of klik op een perceel om informatie over het perceel te bekijken.