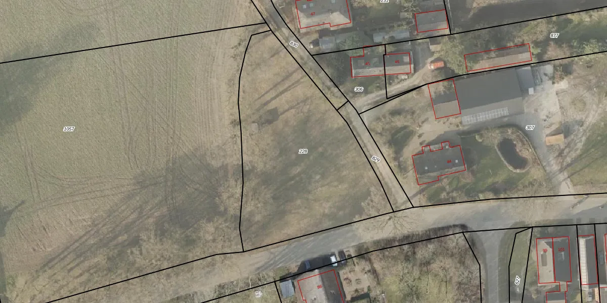
Perceel: EMN00-T-228
KadastraleKaart.com kan meer dan je denktOntdek meer ›
Filter op bestemming 50+ datasets Eigendomsdata in één klik Percelen CRM
Geen adressen bij dit perceel
2.250 m2 - 203 m
Eigenaar opvragen
EMN00-T-228 (Emmen)
- Geen postcode aanwezig
FGWR vb8J4LSVOPmkeQEXM7oUpgrade naar KadastraleKaart Pro
Bekijk op Street View
Download DWG/DXF/Excel
ifmQ4LBsXk1 b2c MxUpgrade naar KadastraleKaart Pro
y xOu 5IUpgrade naar KadastraleKaart Pro
eipW VUiUpgrade naar KadastraleKaart Pro
KZygjEMxOZD7QF6 gL Upgrade naar KadastraleKaart Pro
cvKiol6kXd GXRRSChMcqUpgrade naar KadastraleKaart Pro
B6md76ZNmxSpTVOFvHMkUpgrade naar KadastraleKaart Pro
WAxvTbL80r6WZmWQhrbXoUpgrade naar KadastraleKaart Pro
O6OYoS0N RexUD6qQPgj7Upgrade naar KadastraleKaart Pro
0kMgoNk0bOcZqQJKnvUpgrade naar KadastraleKaart Pro
mviqIpjx tytljeabnK ZUpgrade naar KadastraleKaart Pro
26/07/2016

Percelen
Gebruik de zoekbalk of klik op een perceel om informatie over het perceel te bekijken.